


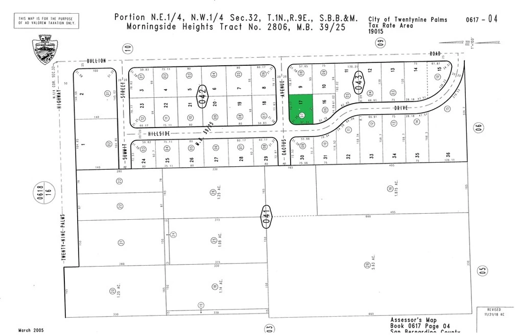
0 Cactus Drive, 29 Palms, CA 92277
Discover an exceptional opportunity to own a prime corner lot in the heart of Twentynine Palms, located at the corner intersection of Hillside Ave and Cactus Drive. This vacant parcel, identified by APN# 0617043070000, offers a unique blend of convenience and natural beauty. Key Features: Ideal Location: Situated on a paved road, this lot provides easy access to nearby shopping centers and the main highway, ensuring all essential amenities are within close reach. Stunning Views: Embrace breathtaking mountain and desert vistas, offering a picturesque backdrop for your future home or investment property. Development Potential: With its strategic corner positioning and accessibility, this lot is primed for various development possibilities, whether you are envisioning a custom residence or a profitable investment project. Don't miss out on this rare chance to secure a piece of Twentynine Palms' vibrant landscape. Contact me today to explore the potential of this remarkable property and make an offer!!! GPS Coordinates: 34.133303, -116.063732
Lot Size
7,350 sqft
Days on Market
175
HOA Fee
N/A
MLS #
DW25042161
Lot Features
Zero To One Unit Acre, Irregular Lot
Water Source
Public
Rural
$0
| Rating | School Name | ||
|---|---|---|---|
| No school data available for this area. | |||
Balanced market
Avg. time on market
This is a Balanced Market. Homes are selling at a moderate pace.
Flood Risk
Minimal — not in a FEMA flood zone
Wildfire Risk
Moderate — near wildland-urban interface
Heat Risk
Low — moderate summer temperatures
Earthquake Risk
Southern California seismic zone
Based on price, location, and features
Topfind Realty, DRE # 02240815, is a licensed real estate broker in California. Topfind Realty pledges to support the Fair Housing Act and adhere to Equal Housing Opportunity laws.
Copyright © 2026 Topfind Realty. All Rights Reserved.