


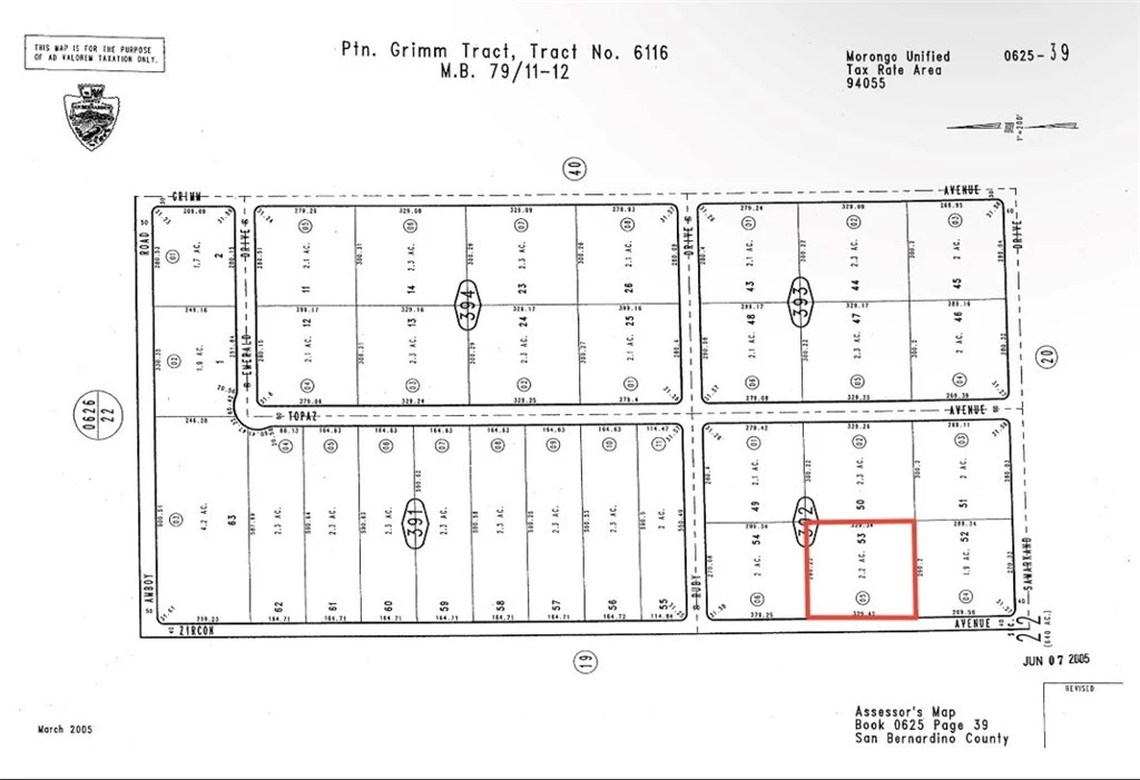
1 Zircon Avenue, 29 Palms, CA 92277
Secluded 2+ acres in Wonder Valley. Endless desert views to mountains in the distance. Short drive to Palms Restaurant and The End of the World sign. About 15 minutes from the Joshua Tree National Park entrance in 29 Palms. Property does not have an assigned address - for listing purposes only. Owner May Carry. GPS: (34.1597649, -115.9218905) APN: 0625-392-05-0000
Lot Size
95,832 sqft
Days on Market
0
HOA Fee
N/A
MLS #
JT26021580
Lot Features
Rectangular Lot
Rural
$0
| Rating | School Name | ||
|---|---|---|---|
| No school data available for this area. | |||
Balanced market
Avg. time on market
This is a Balanced Market. Homes are selling at a moderate pace.
Flood Risk
Minimal — not in a FEMA flood zone
Wildfire Risk
Moderate — near wildland-urban interface
Heat Risk
Low — moderate summer temperatures
Earthquake Risk
Southern California seismic zone
Based on price, location, and features
Topfind Realty, DRE # 02240815, is a licensed real estate broker in California. Topfind Realty pledges to support the Fair Housing Act and adhere to Equal Housing Opportunity laws.
Copyright © 2026 Topfind Realty. All Rights Reserved.