




3362 Syracuse Avenue, Acton, CA 93510
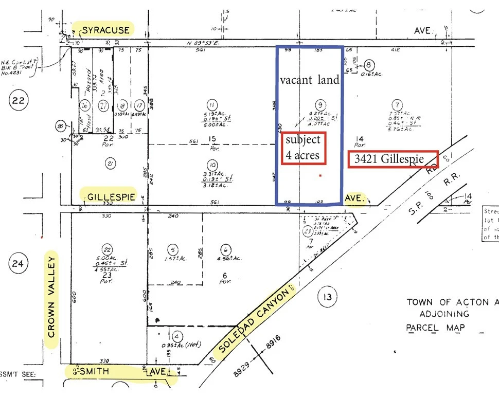
Description 4.27 Acres Industrial Acres Available Tough zoning to find in Acton, not too much M1. Lot has easy Ingress / Egress to lot off two paved streets, Gillespie on one side Syracuse on the other. Lot Very Visible from Soledad Canyon Road Topo Is Level to Very Gentle Slope -all useable Zoned M1 Light Industrial (IL) Electric on Property Along with Producing Water Well Very pleasing to the eye piece of Property
Lot Size
186,001.2 sqft
Days on Market
312
HOA Fee
N/A
MLS #
SR25087438
Fencing
Chain Link
Lot Features
Paved, Value In Land
Water Source
Private, Shared Well
Rural
$0
| Rating | School Name | ||
|---|---|---|---|
| No school data available for this area. | |||
Balanced market
Avg. time on market
This is a Balanced Market. Homes are selling at a moderate pace.
Based on price, location, and features
Topfind Realty, DRE # 02240815, is a licensed real estate broker in California. Topfind Realty pledges to support the Fair Housing Act and adhere to Equal Housing Opportunity laws.
Copyright © 2026 Topfind Realty. All Rights Reserved.