
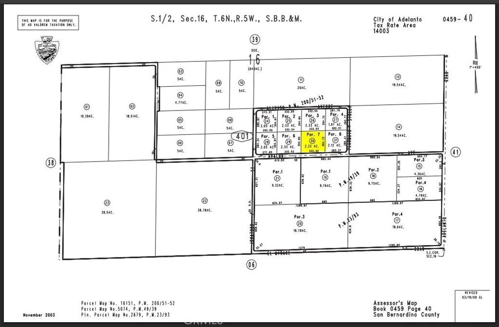
0 Avalon Parcel #0459-401-30 Avenue, Adelanto, CA 92301
ADD(Airport Development District) zoning on this 2.33 ac parcel close to So CA Logistic Airport. Only .9 miles from Stirling Capital Investments on Lot 45. 1.42 miles from 18580 Gateway Dr on Lot 44 which has a 1,078,071 sf distribution warehouse on 71.47 acres with an assessed value of 142.8 million. Lot is only .75 mile from Highway 395 with good access to the highway. The 2.33 ac lot next door with APN: 0459-401-29 is also for sale for $114,900. Lots can be sold separately or as a package deal. GPS Coordinates: 34.605186,-117.407936
Lot Size
101,494.8 sqft
Days on Market
268
HOA Fee
N/A
MLS #
HD25139733
Lot Features
Lot Over40000 Sqft, Level
Park, Valley
$0
| Rating | School Name | ||
|---|---|---|---|
| No school data available for this area. | |||
Balanced market
Avg. time on market
This is a Balanced Market. Homes are selling at a moderate pace.
Flood Risk
Minimal — not in a FEMA flood zone
Wildfire Risk
Moderate — near wildland-urban interface
Heat Risk
Low — moderate summer temperatures
Earthquake Risk
Southern California seismic zone
Based on price, location, and features
Topfind Realty, DRE # 02240815, is a licensed real estate broker in California. Topfind Realty pledges to support the Fair Housing Act and adhere to Equal Housing Opportunity laws.
Copyright © 2026 Topfind Realty. All Rights Reserved.