

0 Bellflower Street, Adelanto, CA 92301
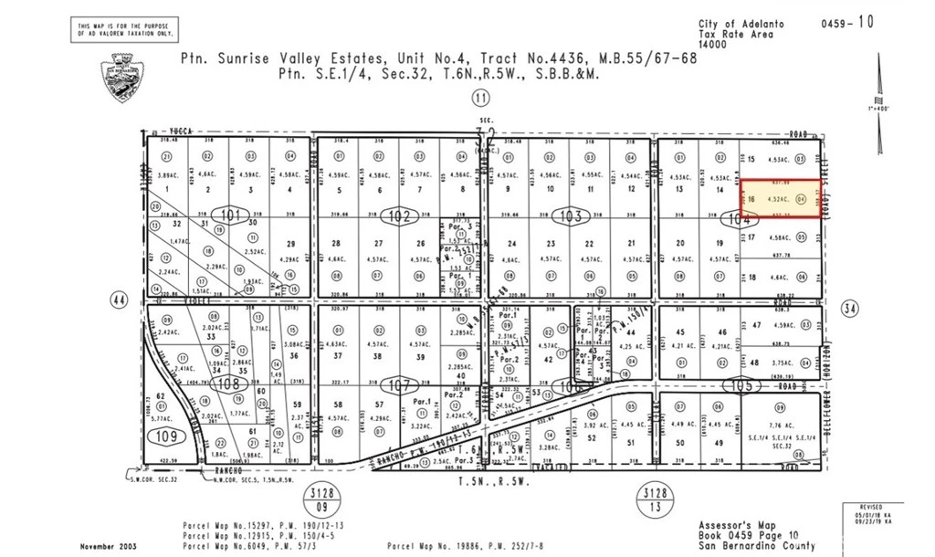
±4.52 acres of multifamily land available for sale on Bellflower Rd in Adelanto; APN: 0459-104-04. Zoned Medium Density Residential (RM-12), this site allows for development of up to 12 units per acre and has more than 300ft of frontage on paved Bellflower Rd. All utilities are nearby. Property has proximity to Richardson Park and Adelanto Elementary and High Schools, as well as Walmart Supercenter, Stater Bros Market, City Hall, US Post Office, US Bank, Bank of America, McDonalds, Del Taco, KFC, Arby’s, and more. This site is also in proximity to support the growth of nearby Southern California Logistics Airport, a rapidly growing industrial development housing such Fortune 500 companies as Amazon, Goodyear Tire, Boeing, GE Aviation, M&M/MARS, General Atomics, and more. Adelanto continues to establish itself as an up-and-coming industrial stronghold as available land and workforce allow for a heavy demand from logistics and manufacturing companies. Buyer to verify all information contained herein. Agent and their representatives are not responsible for the accuracy of these claims.
Lot Size
196,891.2 sqft
Days on Market
148
HOA Fee
N/A
MLS #
HD25193521
Lot Features
No Landscaping
Suburban
$0
| Rating | School Name | ||
|---|---|---|---|
| No school data available for this area. | |||
Balanced market
Avg. time on market
This is a Balanced Market. Homes are selling at a moderate pace.
Flood Risk
Minimal — not in a FEMA flood zone
Wildfire Risk
Moderate — near wildland-urban interface
Heat Risk
Low — moderate summer temperatures
Earthquake Risk
Southern California seismic zone
Based on price, location, and features
Topfind Realty, DRE # 02240815, is a licensed real estate broker in California. Topfind Realty pledges to support the Fair Housing Act and adhere to Equal Housing Opportunity laws.
Copyright © 2026 Topfind Realty. All Rights Reserved.