




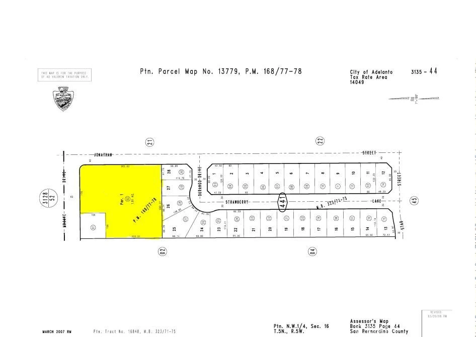
0 Mojave, Adelanto, CA 92301
Highly desirable 1.91-acre corner commercial parcel located in a rapidly growing submarket. The site benefits from excellent frontage and visibility, multiple points of access, and utilities available at the street. Zoned General Commercial. Two Blocks from Hwy 395 on main road. All utilities are in the street. Buyer to verify zoning, utilities, and all property information. Invest today in affordable commercial! APN: 3135441020000
Lot Size
83,430 sqft
Days on Market
103
HOA Fee
N/A
MLS #
HD25235174
Lot Features
Two To Five Units Acre
Sewer
Public Sewer
Water Source
Public
Rural, Valley
$0
| Rating | School Name | ||
|---|---|---|---|
| No school data available for this area. | |||
Balanced market
Avg. time on market
This is a Balanced Market. Homes are selling at a moderate pace.
Based on price, location, and features
Topfind Realty, DRE # 02240815, is a licensed real estate broker in California. Topfind Realty pledges to support the Fair Housing Act and adhere to Equal Housing Opportunity laws.
Copyright © 2026 Topfind Realty. All Rights Reserved.