


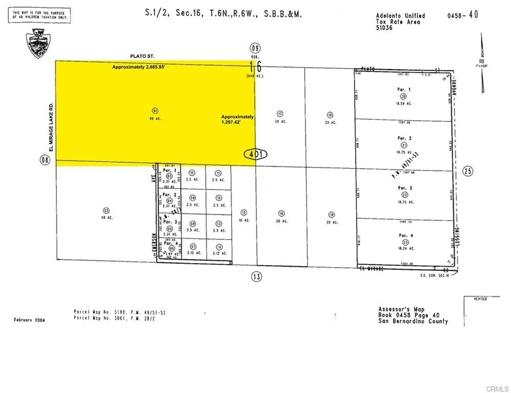
0 Plato Street, Adelanto, CA 92301
Close to 395 Freeway! Located in El Mirage and close to El Mirage Rd,(APN 0458-401-010-000) Zoned Rural Living , This 80 acre vacant land with water rights...Drill your own well and live off the grid. Buyer to verify all the informations with City and County!
Lot Size
3,484,800 sqft
Days on Market
272
HOA Fee
N/A
MLS #
IV25068321
Lot Features
Desert Back, Desert Front
Water Source
None, See Remarks
Rural
$0
| Rating | School Name | ||
|---|---|---|---|
| No school data available for this area. | |||
Balanced market
Avg. time on market
This is a Balanced Market. Homes are selling at a moderate pace.
Flood Risk
Minimal — not in a FEMA flood zone
Wildfire Risk
Moderate — near wildland-urban interface
Heat Risk
Low — moderate summer temperatures
Earthquake Risk
Southern California seismic zone
Based on price, location, and features
Topfind Realty, DRE # 02240815, is a licensed real estate broker in California. Topfind Realty pledges to support the Fair Housing Act and adhere to Equal Housing Opportunity laws.
Copyright © 2026 Topfind Realty. All Rights Reserved.