




0 Plato Street, Adelanto, CA 92301
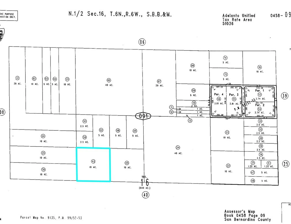
10 ac Rural Living land in West Adelanto near El Mirage. Located less than 1 mile off of paved El Mirage Rd. Good opportunity to acquire land at a fair price.
Lot Size
435,600 sqft
Days on Market
0
HOA Fee
N/A
MLS #
HD26007760
Lot Features
Desert Back, Desert Front
Rural
$0
| Rating | School Name | ||
|---|---|---|---|
| No school data available for this area. | |||
Balanced market
Avg. time on market
This is a Balanced Market. Homes are selling at a moderate pace.
Flood Risk
Minimal — not in a FEMA flood zone
Wildfire Risk
Moderate — near wildland-urban interface
Heat Risk
Low — moderate summer temperatures
Earthquake Risk
Southern California seismic zone
Based on price, location, and features
Topfind Realty, DRE # 02240815, is a licensed real estate broker in California. Topfind Realty pledges to support the Fair Housing Act and adhere to Equal Housing Opportunity laws.
Copyright © 2026 Topfind Realty. All Rights Reserved.