
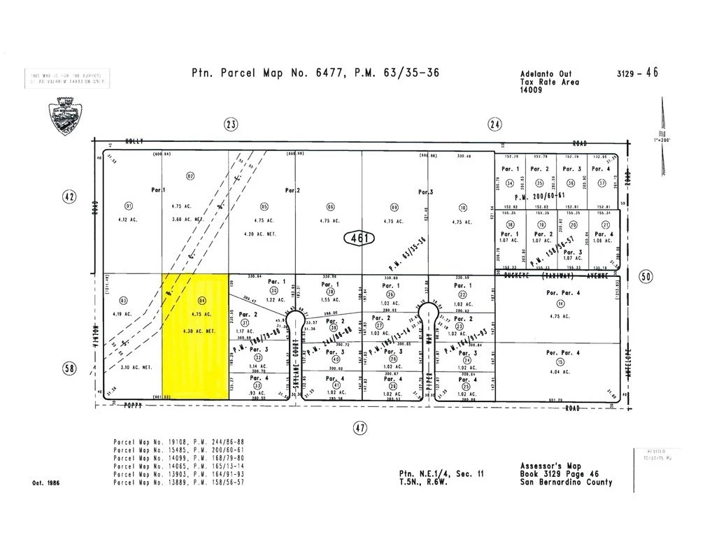
0 Poppy Road, Adelanto, CA 92301
Now available for sale, this ±4.75-acre parcel of vacant land is located within the Adelanto Airport Park, a growing commercial and industrial area in the City of Adelanto. The property features relatively flat topography, making it an ideal candidate for development. With convenient access to Highway 395 and proximity to Southern California Logistics Airport, this site offers strong potential for industrial, aviation-related, or commercial uses. Zoned for flexible development, this parcel represents a prime opportunity to invest in the expanding High Desert region.
Lot Size
206,910 sqft
Days on Market
216
HOA Fee
N/A
MLS #
HD25137130
Lot Features
Rectangular Lot
Rural
$0
| Rating | School Name | ||
|---|---|---|---|
| No school data available for this area. | |||
Balanced market
Avg. time on market
This is a Balanced Market. Homes are selling at a moderate pace.
Based on price, location, and features
Topfind Realty, DRE # 02240815, is a licensed real estate broker in California. Topfind Realty pledges to support the Fair Housing Act and adhere to Equal Housing Opportunity laws.
Copyright © 2026 Topfind Realty. All Rights Reserved.