




16823 RACOON Avenue, Adelanto, CA 92301
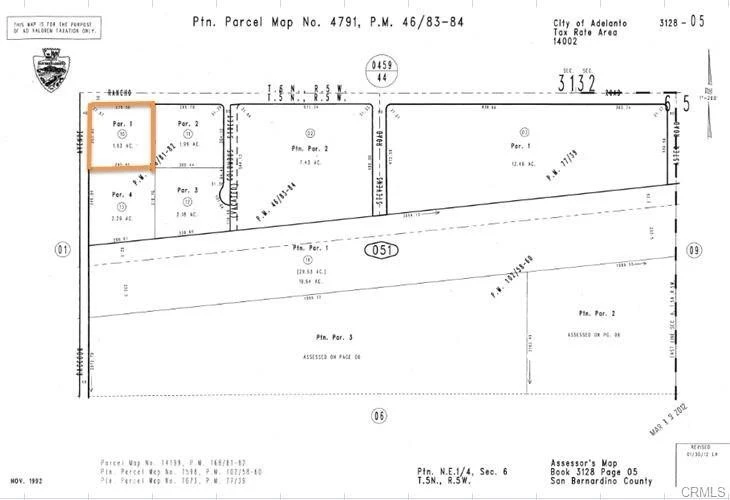
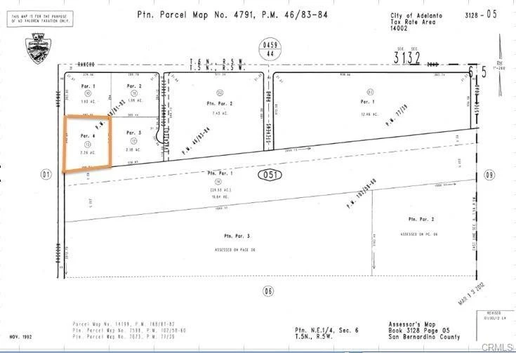
Adelanto Commercial – Approved CUP for Marijuana Cultivation Two adjacent parcels (4.22 acres total) with an approved Conditional Use Permit (CUP) for cannabis cultivation and manufacturing. Zoned Marijuana Cultivation–Manufacturing/Industrial, the property allows for warehouse distribution, building materials, lumber yards, assembly, manufacturing, and more. Located on the main road with utilities nearby, offering huge savings on road development and easy access to freeways 395, 18, and 15. Just minutes from the Southern California Logistics Airport, an 8,500-acre multimodal transportation hub with world-class aviation and FedEx air-cargo facilities. A rare opportunity for businesses seeking a cannabis-friendly industrial property with exceptional growth potential.
Lot Size
98,445 sqft
Days on Market
0
HOA Fee
N/A
MLS #
PW25185768
Lot Features
Desert Back, Desert Front, Value In Land
Rural
$0
| Rating | School Name | ||
|---|---|---|---|
| No school data available for this area. | |||
Balanced market
Avg. time on market
This is a Balanced Market. Homes are selling at a moderate pace.
Flood Risk
Minimal — not in a FEMA flood zone
Wildfire Risk
Moderate — near wildland-urban interface
Heat Risk
Low — moderate summer temperatures
Earthquake Risk
Southern California seismic zone
Based on price, location, and features
Topfind Realty, DRE # 02240815, is a licensed real estate broker in California. Topfind Realty pledges to support the Fair Housing Act and adhere to Equal Housing Opportunity laws.
Copyright © 2026 Topfind Realty. All Rights Reserved.