




459601 0119 Prapi Court, Adelanto, CA 92301
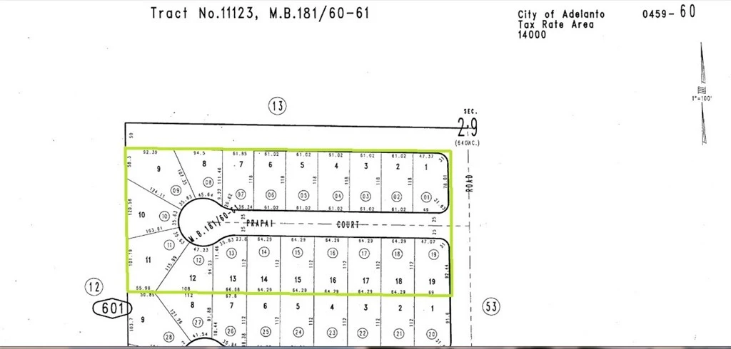
*** Come VIEW and MAKE an OFFER TODAY! Amazing LAND OPPORTUNITY in EXPANDING ADELANTO, CA. Located on the SW Corner of Bartlett Ave and Verbena Rd, the 3.25 ACRE site offers 19 UNITS, SEE TRACT MAP #11123. Positioned in the heart of town, adjacent to utilities, and close to Hwy 395 the lots are ready for development. Each parcel in the package is priced under $25K, and with the average Adelanto sale price climbing up to $400K, there is tons of potential for lucrative returns. A definite must see OPPORTUNITY, worthy of serious consideration, before it’s too late.*****(19 APNs sold as a package: 0459-601 01, 02, 03, 04, 05, 06, 07, 08, 09, 10, 11, 12, 13, 14, 15, 16, 17, 18, and 19)
Lot Size
141,570 sqft
Days on Market
911
HOA Fee
N/A
MLS #
HD23044238
Lot Features
Paved, Level
Sewer
Public Sewer
Water Source
Public
Curbs
$0
| Rating | School Name | ||
|---|---|---|---|
| No school data available for this area. | |||
Balanced market
Avg. time on market
This is a Balanced Market. Homes are selling at a moderate pace.
Flood Risk
Minimal — not in a FEMA flood zone
Wildfire Risk
Moderate — near wildland-urban interface
Heat Risk
Low — moderate summer temperatures
Earthquake Risk
Southern California seismic zone
Based on price, location, and features
Topfind Realty, DRE # 02240815, is a licensed real estate broker in California. Topfind Realty pledges to support the Fair Housing Act and adhere to Equal Housing Opportunity laws.
Copyright © 2026 Topfind Realty. All Rights Reserved.