




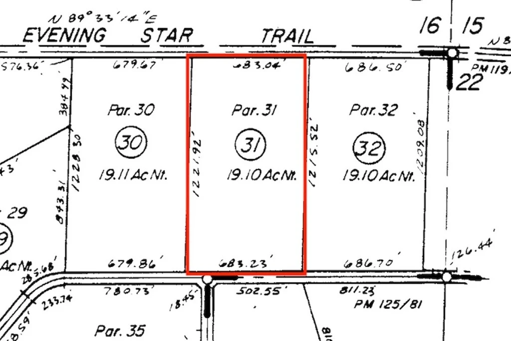
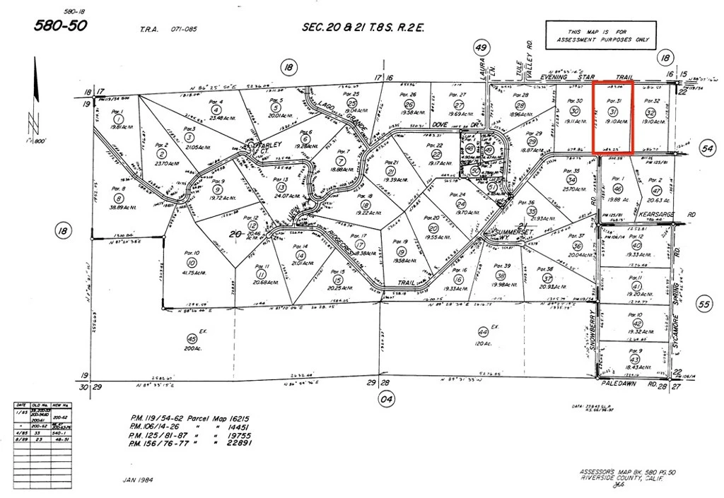
0 Evening Star Trail, Aguanga, CA 92536
19.1 Acre lot in Aguanga ready for development, easy access, with great views. Plenty of space to build your dream property! APN 580-500-031 GPS: Latitude: 33.468896 Longitude: -116.774732
Lot Size
831,996 sqft
Days on Market
0
HOA Fee
N/A
MLS #
PT26034796
Lot Features
Rectangular Lot
Rural
$0
| Rating | School Name | ||
|---|---|---|---|
| No school data available for this area. | |||
Balanced market
Avg. time on market
This is a Balanced Market. Homes are selling at a moderate pace.
Flood Risk
Minimal — not in a FEMA flood zone
Wildfire Risk
Moderate — near wildland-urban interface
Heat Risk
Low — moderate summer temperatures
Earthquake Risk
Southern California seismic zone
Based on price, location, and features
Topfind Realty, DRE # 02240815, is a licensed real estate broker in California. Topfind Realty pledges to support the Fair Housing Act and adhere to Equal Housing Opportunity laws.
Copyright © 2026 Topfind Realty. All Rights Reserved.