

0 N Mount Curve Avenue, Altadena, CA 91001
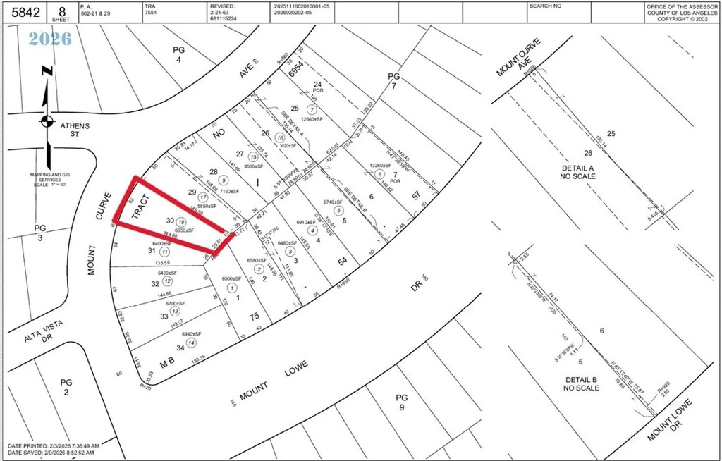
Opportunity on one of Altadena’s most picturesque and sought-after streets near scenic Mount Lowe Park. Parcel ID 5842-008-018 (formerly 3044 N Mount Curve and now currently known as _0 N Mount Curve Ave —lot 30) is now the remaining available parcel from a recently split lot, offering a chance to build in a highly desirable setting. Encompassing approximately 6650 sq ft (per LA County Assessor—buyer to verify), the property features gently sloping terrain, mountain views to the north, and potential city views to the south. Formerly part of a larger residential homesite lost in the Eaton Canyon fire, the lot has been cleared by the U.S. Army Corps of Engineers and approved by LA County Public Works, which may help reduce pre-development time and costs. With its natural beauty and close proximity to hiking trails and outdoor recreation, this parcel presents an outstanding opportunity to build a custom residence in one of Altadena’s most desirable locations. Buyer to independently verify utilities, zoning, building requirements, and development potential with the County of Los Angeles.
Lot Size
6,650 sqft
Days on Market
35
HOA Fee
N/A
MLS #
PF26018204
Lot Features
Gentle Sloping
Sewer
Public Sewer
Biking, Foothills, Park
$0
| Rating | School Name | ||
|---|---|---|---|
| No school data available for this area. | |||
Balanced market
Avg. time on market
This is a Balanced Market. Homes are selling at a moderate pace.
Based on price, location, and features
Topfind Realty, DRE # 02240815, is a licensed real estate broker in California. Topfind Realty pledges to support the Fair Housing Act and adhere to Equal Housing Opportunity laws.
Copyright © 2026 Topfind Realty. All Rights Reserved.