




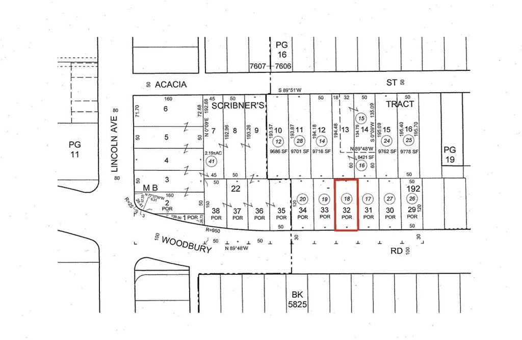
343 W Woodbury Road, Altadena, CA 91001
Don’t miss this exceptional opportunity to build in one of Altadena’s most desirable foothill neighborhoods. Set on a 6,073 sq ft parcel (approx. 50’ x 120’) at 343 W Woodbury Rd, this R-1 zoned lot previously housed a residence lost in the January 2025 Eaton Fire, which impacted the surrounding area. Now cleared and ready for redevelopment, it offers a blank canvas for homeowners, builders, and investors alike—whether the vision is to create a custom dream home or a sought-after new construction project in a high-demand market. All utilities, including water, power, gas, and sewer, are available at the street, and rebuilding must comply with California’s updated Wildland-Urban Interface (WUI) and fire-hardening standards, incorporating features such as ember-resistant vents, non-combustible siding, enclosed eaves, and Class A roofing. Los Angeles County’s current ADU regulations also allow for the addition of an Accessory Dwelling Unit, providing flexibility for multigenerational living, rental income, or increased property value. The lot sits within an established residential neighborhood with paved street access, curbs, and gutters, surrounded by ongoing rebuilds that reflect the community’s continued revitalization. Soil and foundation conditions are typical for the area, and the site’s cleared status helps streamline the redevelopment process. With proximity to scenic hiking trails, local parks, and Altadena’s charming shops and cafés, as well as easy access to Pasadena, JPL, and the 210 Freeway, the location combines lifestyle appeal with strong long-term appreciation potential. Whether designing a modern, fire-resilient sanctuary tailored to personal vision or developing a profitable infill project in a thriving foothill community, this ready-to-build lot presents a rare and rewarding opportunity.
Lot Size
6,073 sqft
Days on Market
140
HOA Fee
N/A
MLS #
SR25252854
Lot Features
Level, Rectangular Lot
Sewer
Public Sewer
Water Source
Public
Curbs, Street Lights, Sidewalks
$0
| Rating | School Name | ||
|---|---|---|---|
| No school data available for this area. | |||
Balanced market
Avg. time on market
This is a Balanced Market. Homes are selling at a moderate pace.
Based on price, location, and features
Topfind Realty, DRE # 02240815, is a licensed real estate broker in California. Topfind Realty pledges to support the Fair Housing Act and adhere to Equal Housing Opportunity laws.
Copyright © 2026 Topfind Realty. All Rights Reserved.