


0 N East B Street, Alturas, CA 91601
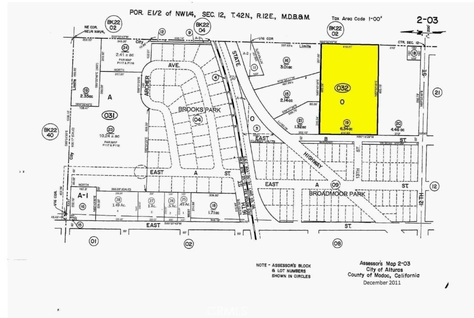
Prime residential development opportunity in the City of Alturas, Modoc County. This expansive 276,170 sq ft (approximately 6.34 acres) parcel is zoned RES ACG, providing flexibility for a variety of residential uses (buyer to verify all permitted uses with the City of Alturas Planning Department). The property offers an excellent opportunity for investors, developers, or homebuilders seeking a well-located site with ample space to design single-family homes, multi-unit residences, or other residential projects. With generous lot size, strong development potential, and room for creative planning, this parcel is ideal for anyone looking to build in a growing Northern California community. Whether you're planning a new housing development or a private estate, this land provides the space and flexibility to bring your residential vision to life.
Lot Size
276,170 sqft
Days on Market
0
HOA Fee
N/A
MLS #
DW25260265
Lot Features
Level
Water Source
Public
Biking, Street Lights
$0
| Rating | School Name | ||
|---|---|---|---|
| No school data available for this area. | |||
Balanced market
Avg. time on market
This is a Balanced Market. Homes are selling at a moderate pace.
Flood Risk
Minimal — not in a FEMA flood zone
Wildfire Risk
Moderate — near wildland-urban interface
Heat Risk
Low — moderate summer temperatures
Earthquake Risk
Southern California seismic zone
Based on price, location, and features
Topfind Realty, DRE # 02240815, is a licensed real estate broker in California. Topfind Realty pledges to support the Fair Housing Act and adhere to Equal Housing Opportunity laws.
Copyright © 2026 Topfind Realty. All Rights Reserved.