




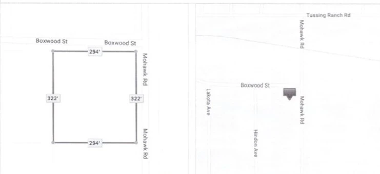
0 Boxwood St. Mohawk Road, Apple Valley, CA 92308
2.169 Ac. SW Corner of Boxwood Street and Mohawk Road. Hurry while the prices are still affordable. Rural Residential Land within in the Town of Apple Valley.North of the site is an established single family residential development and the railroad. Utilities near the site, This area offers the best of both worlds: Sweeping desert & mountain views, with the convenience of schools, shopping and activities. This lot is in a great location just west of the rapidly growing Marianas, Close to the new theater center and shopping. The Google coordination map, Latitude:34.439513 and Longitude: -117.199320
Lot Size
94,500 sqft
Days on Market
823
HOA Fee
N/A
MLS #
SR23223380
Lot Features
Corner Lot, Pasture, Value In Land
Water Source
Other, See Remarks
Valley
$0
| Rating | School Name | ||
|---|---|---|---|
| No school data available for this area. | |||
Balanced market
Avg. time on market
This is a Balanced Market. Homes are selling at a moderate pace.
Based on price, location, and features
Topfind Realty, DRE # 02240815, is a licensed real estate broker in California. Topfind Realty pledges to support the Fair Housing Act and adhere to Equal Housing Opportunity laws.
Copyright © 2026 Topfind Realty. All Rights Reserved.