

0 Central Road, Apple Valley, CA 92308
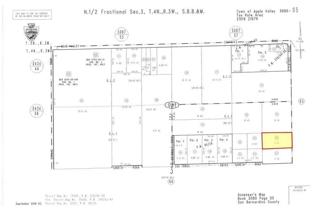
±5 acres of unimproved residential land for sale on Central Rd in Apple Valley; APN: 3080-051-26. Zoned Equestrian Residential (R-EQ) this site permits for the development of single-family homes with a density of 1 dwelling unit per 0.4-0.9 net acre. Water and power are available. Nearby amenities for future residents include Stater Bros Markets, Food 4 Less, AutoZone Auto Parts, Home & Garden Unlimited, Tractor Supply Co., Best Buy, Cinemark Movie Theater, Six Beans Coffee, Dutch Bros Coffee, and more. Apple Valley continues to grow with active industrial, residential, and commercial projects. Most notably the Brightline West Apple Valley Station, a project recently receiving a $3 billion federal-state partnership grant and the appointment of Siemens Mobility as the manufacture of the trains. Construction is expected to begin soon with the train in operation by late 2028. Buyer to verify all information contained herein. Agent and their representatives are not responsible for the accuracy of these claims.
Lot Size
217,800 sqft
Days on Market
78
HOA Fee
N/A
MLS #
HD25254684
Lot Features
No Landscaping
Water Source
See Remarks
Rural
$0
| Rating | School Name | ||
|---|---|---|---|
| No school data available for this area. | |||
Balanced market
Avg. time on market
This is a Balanced Market. Homes are selling at a moderate pace.
Based on price, location, and features
Topfind Realty, DRE # 02240815, is a licensed real estate broker in California. Topfind Realty pledges to support the Fair Housing Act and adhere to Equal Housing Opportunity laws.
Copyright © 2026 Topfind Realty. All Rights Reserved.