
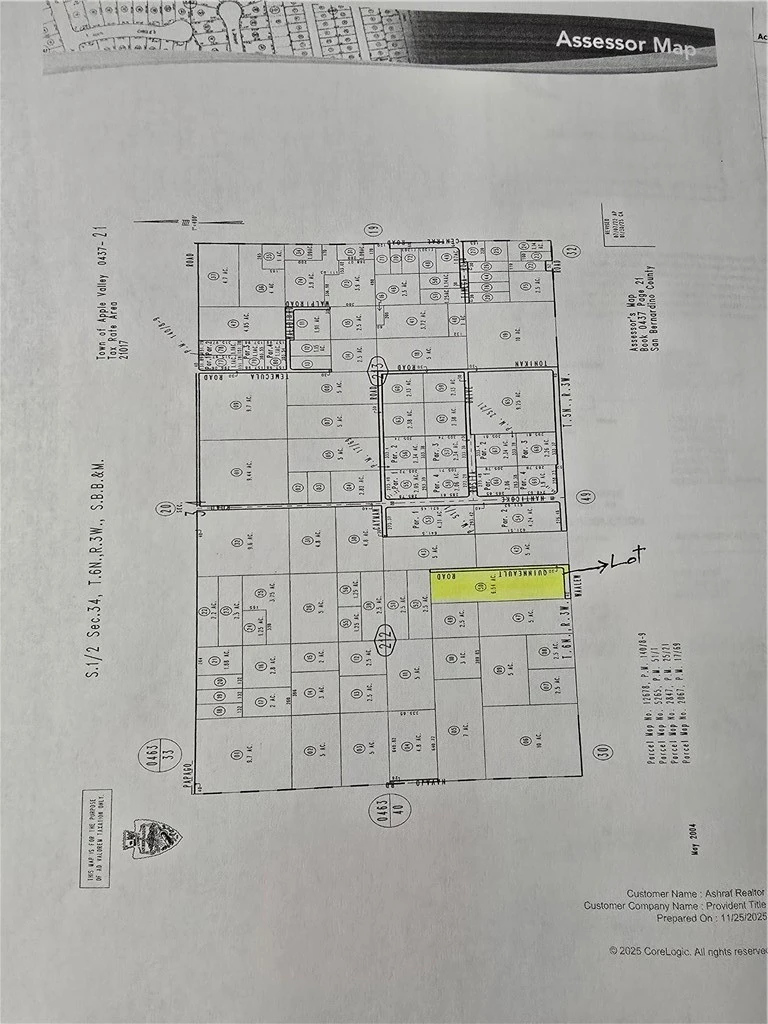
0 Waalew, Apple Valley, CA 92307
Beautiful area consists of ±6.54 acres, zoned Industrial Specific. There is a well on the property But not sure if it is operational , Gas along Waalew Rd. and electricity across the street. Parcel is just about halfway between Central Rd. and Dale Evans Pkwy on Waalew Dr. Waalew road connecting eastern Apple Valley with Desert Knolls. There is proposed(freeway) E-220 corridor is planned to intersect the north corner of the land. The Parcel is situated in the North Apple Valley Industrial Specific Plan, which provides lots of development opportunity.Easy access to Interstate 15 and south to the Apple Valley Town Center. Close by Walmart Distribution Center, and proposed Big Lots Distribution Center and Valley Concrete Products facility. Apple Valley Airport is located to the north. This is a Raw land for many uses, such like warehouse, administrative , professional and general offices, art studio, such as dance ,photo Catering establishment,Health fitness club,Drive-Thru, Drive up, Convenience Store,Out door storage, Lumber, building material.
Lot Size
284,882 sqft
Days on Market
83
HOA Fee
N/A
MLS #
IG25269433
Lot Features
Level
Rural
$0
| Rating | School Name | ||
|---|---|---|---|
| No school data available for this area. | |||
Balanced market
Avg. time on market
This is a Balanced Market. Homes are selling at a moderate pace.
Based on price, location, and features
Topfind Realty, DRE # 02240815, is a licensed real estate broker in California. Topfind Realty pledges to support the Fair Housing Act and adhere to Equal Housing Opportunity laws.
Copyright © 2026 Topfind Realty. All Rights Reserved.