




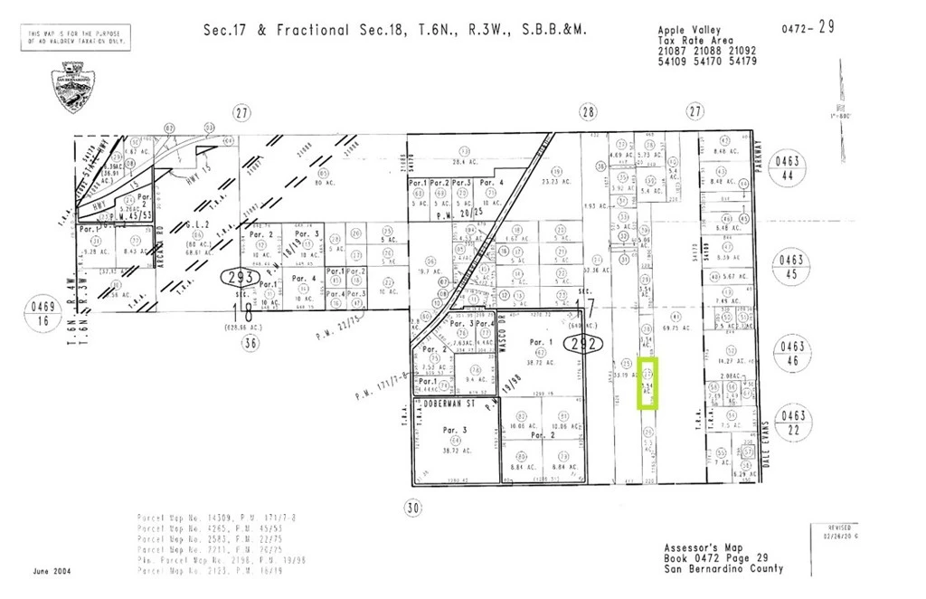
47229227 Harris Lane, Apple Valley, CA 92307
***Come VIEW and MAKE an OFFER TODAY! Affordable LAND OPPORTUNITY located in expanding Apple Valley CA. The 3.54 ACRE parcel is positioned about one block from the Johnson Rd and Dale Evans Pkwy intersection, plus close to the Stoddard Wells exit off I-15 offering excellent access to all of Southern CA. Zoned RL - Rural Living the parcel allows for many different uses including residential, industrial, commercial, and agricultural. Right in the path of growth the site is about 2 miles away from where the BRIGHTLINE WEST High Speed Train Station will be breaking ground soon at the Dale Evans Pkwy and Interstate-15 exit. In addition, the area is quickly becoming an essential distribution hub with existing centers in operation and new facilities currently under construction. The parcel is ideal for anyone needing extra space for their own personal use, and would be perfect for any truck drivers that need to park trailers close to where they might be picking up loads from nearby distribution centers. In addition, power lines run adjacent to the property. As an added bonus the parcel previously had a structure on site and a WELL was drilled at one time that may be salvageable. With so much potential and growth coming to the area, this is a MUST SEE OPPORTUNITY before its too late.***
Lot Size
154,202 sqft
Days on Market
1
HOA Fee
N/A
MLS #
HD25269577
Lot Features
Horse Property, Level, Rectangular Lot, Street Level
Water Source
See Remarks
Suburban
$0
| Rating | School Name | ||
|---|---|---|---|
| No school data available for this area. | |||
Balanced market
Avg. time on market
This is a Balanced Market. Homes are selling at a moderate pace.
Based on price, location, and features
Topfind Realty, DRE # 02240815, is a licensed real estate broker in California. Topfind Realty pledges to support the Fair Housing Act and adhere to Equal Housing Opportunity laws.
Copyright © 2026 Topfind Realty. All Rights Reserved.