




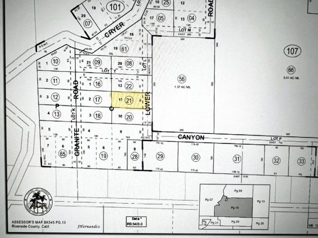
0 Lower, Banning, CA 92220
6534 sqft. Lot per Assessor. This is a land parcel located in Banning, Riverside. Beautiful area with nearby camp site as well as homes and activities. Assessor's Parcel Number is 545-107-021. Per Assessors it is where the Rancho Encino Mountain Club area is. Residential Lot APN 545-107-021. Located in Unincorporated- Riverside County, California. Legal description states this is part of the Rancho Encino Mountain Club. Beautiful area with opportunities on the horizon.
Lot Size
6,534 sqft
Days on Market
190
HOA Fee
N/A
MLS #
IG25064830
Lot Features
No Landscaping
Water Source
See Remarks
Mountainous
$0
| Rating | School Name | ||
|---|---|---|---|
| No school data available for this area. | |||
Balanced market
Avg. time on market
This is a Balanced Market. Homes are selling at a moderate pace.
Flood Risk
Minimal — not in a FEMA flood zone
Wildfire Risk
Moderate — near wildland-urban interface
Heat Risk
Low — moderate summer temperatures
Earthquake Risk
Southern California seismic zone
Based on price, location, and features
Topfind Realty, DRE # 02240815, is a licensed real estate broker in California. Topfind Realty pledges to support the Fair Housing Act and adhere to Equal Housing Opportunity laws.
Copyright © 2026 Topfind Realty. All Rights Reserved.