




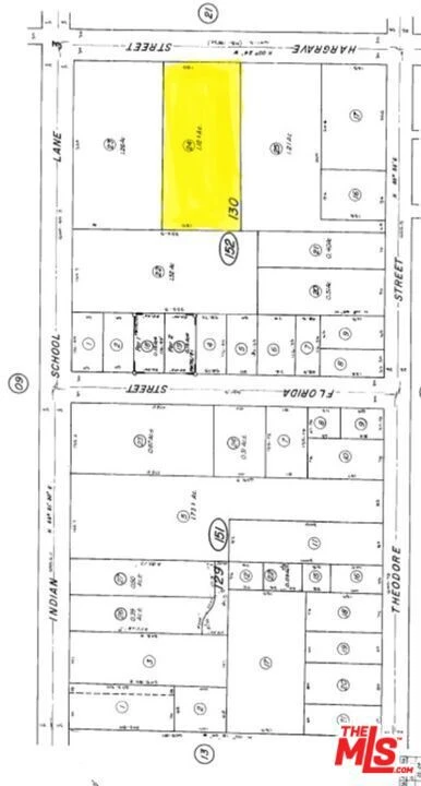
1485 N Hargrave Street, Banning, CA 92220
Welcome to the one of the growing city of Banning! Build your dream home on this 48,787 SQFT parcel at 1485 N Hargrave Street, Banning, CA 92220. All utilities on the property, surrounded by paved street and it's located in a very nice area of Banning. House is likely lost in fire. Previous Seller had expired tentative tract map #33798 from the City of Banning to build 6 single family homes on this lot. All information is in the planning department of the City of Banning. Close to Freeways, Morongo Casino, Shopping Centers, Panoramic View, local schools and transportation.
Bathrooms
0
Lot Size
48,787 sqft
Days on Market
87
HOA Fee
N/A
MLS #
26646041
$0
| Rating | School Name | ||
|---|---|---|---|
| No school data available for this area. | |||
Balanced market
Avg. time on market
This is a Balanced Market. Homes are selling at a moderate pace.
Flood Risk
Minimal — not in a FEMA flood zone
Wildfire Risk
Moderate — near wildland-urban interface
Heat Risk
Low — moderate summer temperatures
Earthquake Risk
Southern California seismic zone
Based on price, location, and features
Topfind Realty, DRE # 02240815, is a licensed real estate broker in California. Topfind Realty pledges to support the Fair Housing Act and adhere to Equal Housing Opportunity laws.
Copyright © 2026 Topfind Realty. All Rights Reserved.