

298 Apex Avenue, Banning, CA 92220
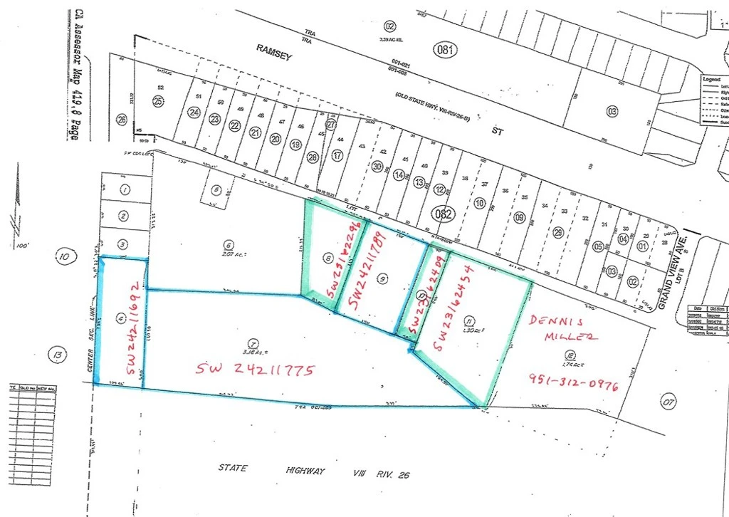
This Interstate 10 freeway frontage property is ready to be developed. Other properties in the area are available to purchase, 10 acres in all. See the parcel map showing area properties Sewer, water and electricity are available at the property border.
Lot Size
30,056 sqft
Days on Market
535
HOA Fee
N/A
MLS #
SW24211692
Lot Features
Gentle Sloping, Paved
Sewer
Public Sewer
Water Source
Public
Biking, Foothills, Golf, Hiking, Near National Forest, Water Sports
$0
| Rating | School Name | ||
|---|---|---|---|
| No school data available for this area. | |||
Balanced market
Avg. time on market
This is a Balanced Market. Homes are selling at a moderate pace.
Flood Risk
Minimal — not in a FEMA flood zone
Wildfire Risk
Moderate — near wildland-urban interface
Heat Risk
Low — moderate summer temperatures
Earthquake Risk
Southern California seismic zone
Based on price, location, and features
Topfind Realty, DRE # 02240815, is a licensed real estate broker in California. Topfind Realty pledges to support the Fair Housing Act and adhere to Equal Housing Opportunity laws.
Copyright © 2026 Topfind Realty. All Rights Reserved.