


300 Apex Avenue, Banning, CA 92220
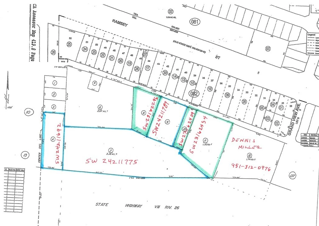
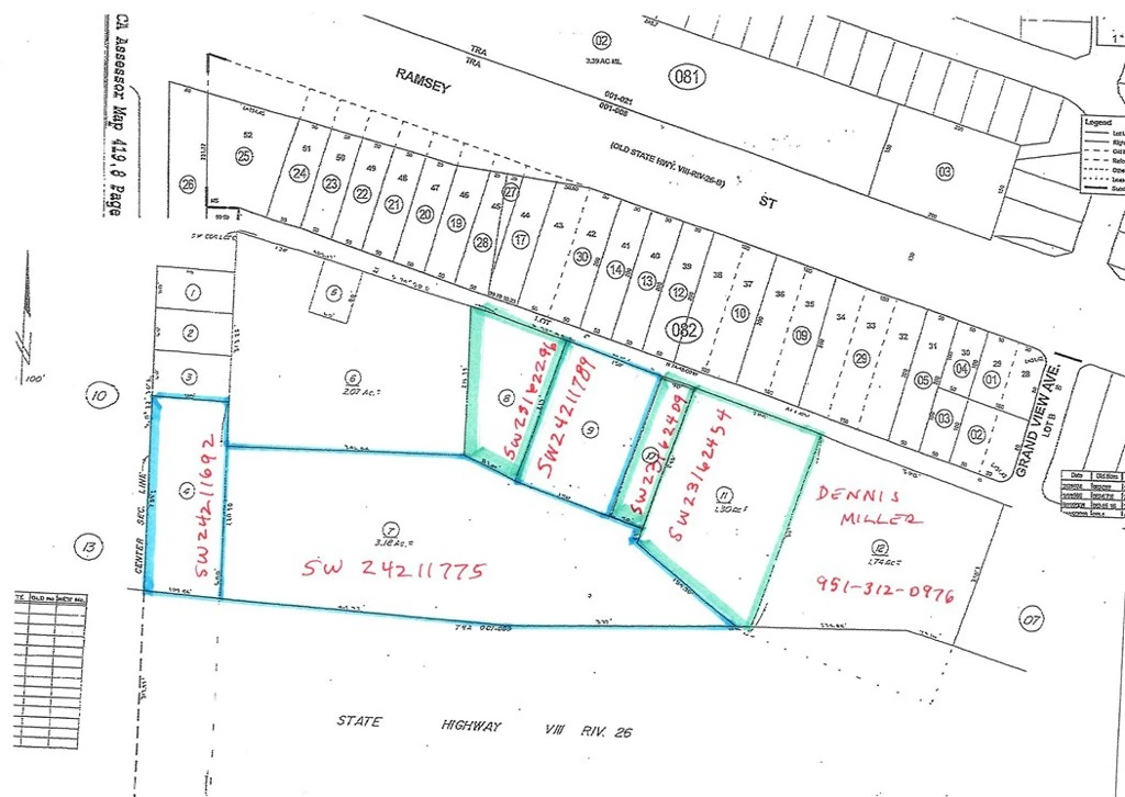
Property ready to develop. Auto mall, RV sales, Furniture and any commercial use. See other listings in area for a title of 10 acres of Interstate 10 freeway frontage property. See photo for parcel map showing available properties.
Lot Size
138,521 sqft
Days on Market
535
HOA Fee
N/A
MLS #
SW24211775
Lot Features
Two To Five Units Acre, Lot Over40000 Sqft, Near Park
Sewer
Public Sewer
Water Source
Public
Biking, Park
$0
| Rating | School Name | ||
|---|---|---|---|
| No school data available for this area. | |||
Balanced market
Avg. time on market
This is a Balanced Market. Homes are selling at a moderate pace.
Flood Risk
Minimal — not in a FEMA flood zone
Wildfire Risk
Moderate — near wildland-urban interface
Heat Risk
Low — moderate summer temperatures
Earthquake Risk
Southern California seismic zone
Based on price, location, and features
Topfind Realty, DRE # 02240815, is a licensed real estate broker in California. Topfind Realty pledges to support the Fair Housing Act and adhere to Equal Housing Opportunity laws.
Copyright © 2026 Topfind Realty. All Rights Reserved.