

5388 C Street, Banning, CA 92220
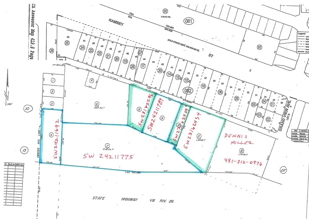
This property and the others that are adjacent are ready to be developed. Commercial zoning for RV or Auto sales, Furniture store etc. Take note of the other parcels being sold. See the map.
Lot Size
34,412 sqft
Days on Market
535
HOA Fee
N/A
MLS #
SW24211860
Lot Features
Rolling Slope
Sewer
Public Sewer
Water Source
Public
Biking, Golf
$0
| Rating | School Name | ||
|---|---|---|---|
| No school data available for this area. | |||
Balanced market
Avg. time on market
This is a Balanced Market. Homes are selling at a moderate pace.
Flood Risk
Minimal — not in a FEMA flood zone
Wildfire Risk
Moderate — near wildland-urban interface
Heat Risk
Low — moderate summer temperatures
Earthquake Risk
Southern California seismic zone
Based on price, location, and features
Topfind Realty, DRE # 02240815, is a licensed real estate broker in California. Topfind Realty pledges to support the Fair Housing Act and adhere to Equal Housing Opportunity laws.
Copyright © 2026 Topfind Realty. All Rights Reserved.