
0 Dusty Lane, Barstow, CA 92311
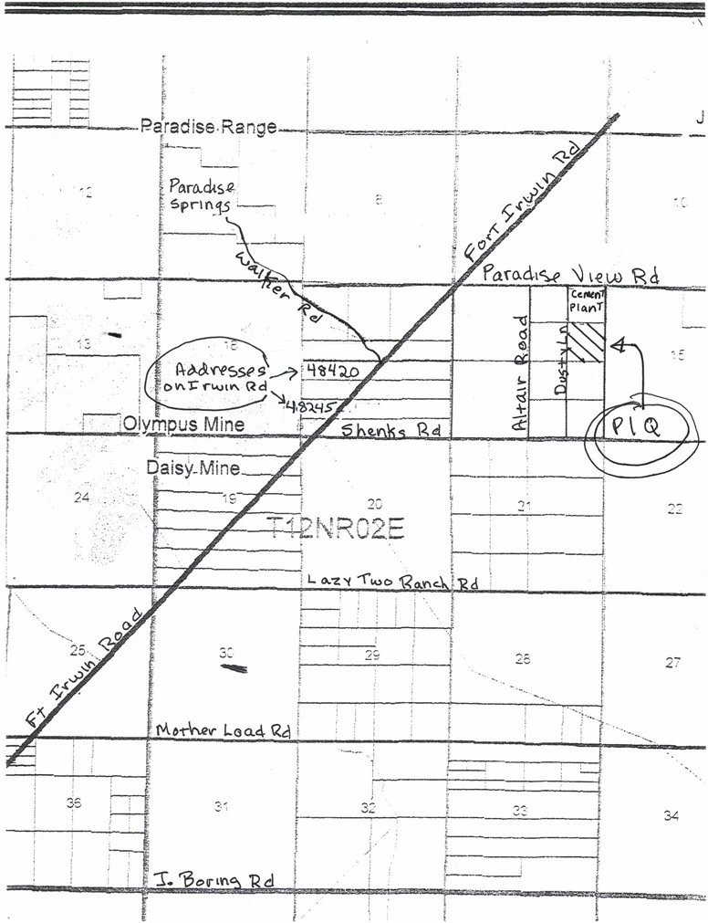
39.01 Acres located in beautiful Paradise Valley, only about 10 miles from Fort Irwin. From this property, you can see for miles, looking out over Coyote Dry Lake, clear over to the west side of Newberry Springs. The property adjoining to the north & to the west have electric so may not cost much to bring it to this property. Check with the electric company for pricing and availability. This parcel has legal access on Dusty Ln (AKA Sandy Ln) on the west. Take Fort Irwin Road north from Barstow. About 10 miles before you would get to the Ft Irwin Army Base, Turn right on Paradise View Rd. Right before the cement plant, turn right on Dusty Ln. (AKA Sandy Ln), go 1/4 mile to the NW corner of the parcel which will be on your left. Parcel has been surveyed. There are some pistachio trees on the property which haven't been watered for a long time so all or most are no longer alive but still on the property. Also there are two old sheds on north side of property but north property line appears to to through the sheds. Listing Agent is one of the Owners of the property.
Lot Size
1,699,275.6 sqft
Days on Market
344
HOA Fee
N/A
MLS #
HD24146156
Lot Features
Gentle Sloping, Horse Property, Lot Over40000 Sqft, Rectangular Lot
Rural
$0
| Rating | School Name | ||
|---|---|---|---|
| No school data available for this area. | |||
Balanced market
Avg. time on market
This is a Balanced Market. Homes are selling at a moderate pace.
Flood Risk
Minimal — not in a FEMA flood zone
Wildfire Risk
Moderate — near wildland-urban interface
Heat Risk
Low — moderate summer temperatures
Earthquake Risk
Southern California seismic zone
Based on price, location, and features
Topfind Realty, DRE # 02240815, is a licensed real estate broker in California. Topfind Realty pledges to support the Fair Housing Act and adhere to Equal Housing Opportunity laws.
Copyright © 2026 Topfind Realty. All Rights Reserved.