
0 Lenwood Road, Barstow, CA 92311
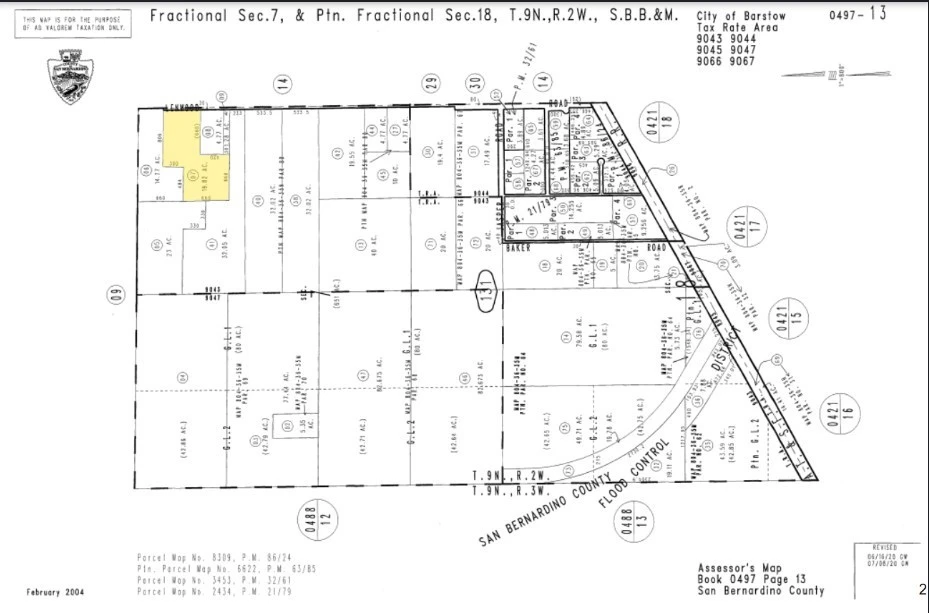
Prime ±19.82-acre industrial land on Lenwood Rd. in Barstow, CA, featuring ±540 feet of frontage and excellent access to I-15, I-40, and SR-58. Zoned General Industrial, this site is ideal for logistics, manufacturing, or warehousing. Power lines run along Lenwood Rd., with water available nearby at the NE corner of Lenwood Rd. and Agate Rd. Strategically located next to BNSF’s ±4,500-acre Barstow International Gateway Project, offering significant growth potential in a key transportation hub. Buyer to verify all information contained herein.
Lot Size
863,359 sqft
Days on Market
219
HOA Fee
N/A
MLS #
HD25030109
Lot Features
Lot Over40000 Sqft
Water Source
See Remarks
Rural
$0
| Rating | School Name | ||
|---|---|---|---|
| No school data available for this area. | |||
Balanced market
Avg. time on market
This is a Balanced Market. Homes are selling at a moderate pace.
Based on price, location, and features
Topfind Realty, DRE # 02240815, is a licensed real estate broker in California. Topfind Realty pledges to support the Fair Housing Act and adhere to Equal Housing Opportunity laws.
Copyright © 2026 Topfind Realty. All Rights Reserved.