




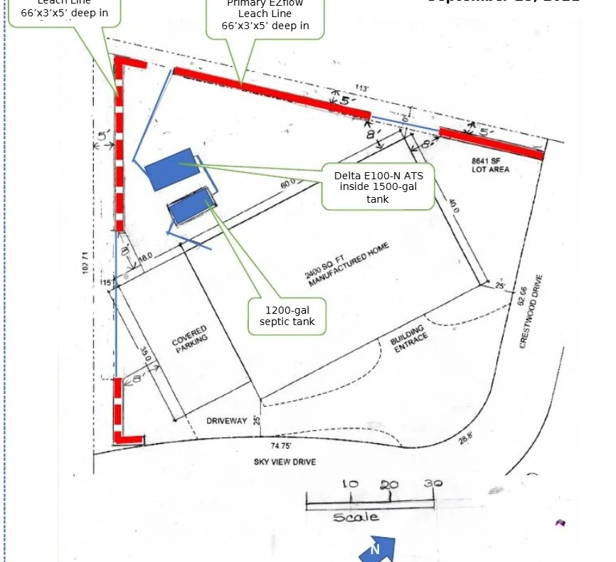
47080 Sky View, Big Bear City, CA 92314
$ 50,000 for this month Hidden Gem in Big Bear neighborhood. Located just 18 minutes from Big Bear Lake. Sale includes a perc test, already paid for, saving you thousands of dollars in upfront costs and streamlining your building process. Address 47080 Sky View Dr paid for as well LOT SIZE is an 8,246 sq ft lot provides ample space to bring your vision to life. The surrounding area features a mix of farmhouse-style homes and custom-built residences, creating a welcoming and thoughtfully designed community. Whether you’re planning a custom build or exploring more flexible options, the area allows manufactured homes, making this property ideal for a variety of buyers.
Bedrooms
0
Bathrooms
0
Lot Size
8,246 sqft
Days on Market
81
HOA Fee
N/A
MLS #
HD26006666
Lot Features
Zero To One Unit Acre
Water Source
Public
Rural
$0
| Rating | School Name | ||
|---|---|---|---|
| No school data available for this area. | |||
Balanced market
Avg. time on market
This is a Balanced Market. Homes are selling at a moderate pace.
Flood Risk
Minimal — not in a FEMA flood zone
Wildfire Risk
Moderate — near wildland-urban interface
Heat Risk
Low — moderate summer temperatures
Earthquake Risk
Southern California seismic zone
Based on price, location, and features
Topfind Realty, DRE # 02240815, is a licensed real estate broker in California. Topfind Realty pledges to support the Fair Housing Act and adhere to Equal Housing Opportunity laws.
Copyright © 2026 Topfind Realty. All Rights Reserved.