

0 Vac/Vic Pb Hwy/183 Ste, Black Butte, CA 93591
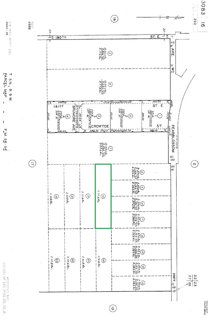
Enjoy the best of both worlds with this 2.5-acre parcel in Palmdale—peaceful countryside living just 20 minutes from the city. Located off Pearblossom Highway as the second lot in, the property offers privacy, open space, and convenience. Perfect for building your dream retreat, recreational use, or holding as an investment. Buyer to verify all details.
Lot Size
109,421 sqft
Days on Market
895
HOA Fee
N/A
MLS #
SR23189456
Lot Features
Two To Five Units Acre, Agricultural
Rural
$0
| Rating | School Name | ||
|---|---|---|---|
| No school data available for this area. | |||
Balanced market
Avg. time on market
This is a Balanced Market. Homes are selling at a moderate pace.
Flood Risk
Minimal — not in a FEMA flood zone
Wildfire Risk
Moderate — near wildland-urban interface
Heat Risk
Low — moderate summer temperatures
Earthquake Risk
Southern California seismic zone
Based on price, location, and features
Topfind Realty, DRE # 02240815, is a licensed real estate broker in California. Topfind Realty pledges to support the Fair Housing Act and adhere to Equal Housing Opportunity laws.
Copyright © 2026 Topfind Realty. All Rights Reserved.