
0 C Street, Borrego Springs, CA 92004
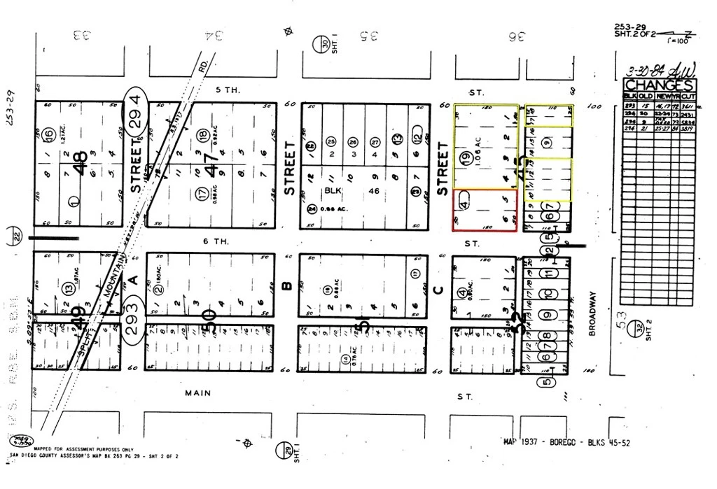
Two adjoining APNs totaling 1.39 acres of flat, buildable desert land in Borrego Springs, sold together for one price with Seller Financing option. APN 253-294-04-00 (0.33 ac) and APN 253-294-19-00 (1.06 ac) combine to offer multi-street frontage on 5th St, 6th St, and Broadway, providing flexible access and future subdivision potential. Zoned residential with electricity available at the street and septic approved for the area; well required for water. Level terrain with native desert vegetation makes site preparation straightforward for a custom home, manufactured home, or long-term land investment. Located just 8 minutes from Anza-Borrego Desert State Park, California's largest state park with over 600,000 acres of trails, canyons, and wilderness. Borrego Springs is the only International Dark Sky Community in California, attracting buyers seeking stargazing, solitude, and wide-open space. The town offers everyday essentials including grocery, pharmacy, hardware, and dining along Palm Canyon Drive, roughly 20 minutes away. No HOA. Surrounded by protected parkland on all sides, private land in this valley is limited, supporting long-term value for patient investors and owner-builders alike. Dirt road access. Ideal for buyers seeking affordable San Diego County acreage with utilities nearby and room to build. Contact agent for parcel maps, coordinates, and next steps.
Lot Size
14,810 sqft
Days on Market
42
HOA Fee
N/A
MLS #
ND26003676
Lot Features
Item01 Unit Acre
Foothills, Hiking
$0
| Rating | School Name | ||
|---|---|---|---|
| No school data available for this area. | |||
Balanced market
Avg. time on market
This is a Balanced Market. Homes are selling at a moderate pace.
Flood Risk
Minimal — not in a FEMA flood zone
Wildfire Risk
Moderate — near wildland-urban interface
Heat Risk
Low — moderate summer temperatures
Earthquake Risk
Southern California seismic zone
Based on price, location, and features
Topfind Realty, DRE # 02240815, is a licensed real estate broker in California. Topfind Realty pledges to support the Fair Housing Act and adhere to Equal Housing Opportunity laws.
Copyright © 2026 Topfind Realty. All Rights Reserved.