


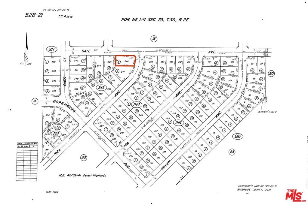
52841 Date Avenue, Cabazon, CA 92230
APN 528-213-005. Great opportunity to build your dream home in the growing Cabazon area! This appx 6,970 SF lot, zoned W-2-M, offers beautiful views of the San Jacinto mountains and is well positioned for future development or long-term investment. There are no utilities currently on the lot. The property is conveniently located near the 10 Freeway, Morongo Casino Resort & Spa, Cabazon Outlet Stores, and more, and is just a short drive to Palm Springs.
Bathrooms
0
Lot Size
6,970 sqft
Days on Market
8
HOA Fee
N/A
MLS #
25619255
$0
| Rating | School Name | ||
|---|---|---|---|
| No school data available for this area. | |||
Balanced market
Avg. time on market
This is a Balanced Market. Homes are selling at a moderate pace.
Flood Risk
Minimal — not in a FEMA flood zone
Wildfire Risk
Moderate — near wildland-urban interface
Heat Risk
Low — moderate summer temperatures
Earthquake Risk
Southern California seismic zone
Based on price, location, and features
Topfind Realty, DRE # 02240815, is a licensed real estate broker in California. Topfind Realty pledges to support the Fair Housing Act and adhere to Equal Housing Opportunity laws.
Copyright © 2026 Topfind Realty. All Rights Reserved.