




0 14 Fwy Frontage Rd, California City, CA 93501
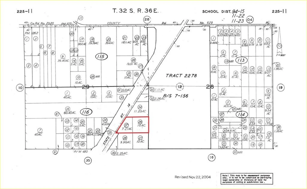
**Excellent development opportunity with two contiguous parcels totaling 17.21 acres zoned R3 High-Density Residential. Located just south of California City Blvd with direct paved frontage along the Hwy 14 Frontage Road, these parcels sit immediately east of State Highway 14 in a future residential corridor. The 7.21-acre and 10-acre parcels offer flat, buildable terrain ideal for multi-family housing, townhomes, apartments, or higher-density residential projects (buyer to verify). Prime location near the Mojave Air & Space Port, with outstanding visibility and convenient access to major transportation routes. Rare chance for developers to secure large R3-zoned acreage in a high-growth area with strong long-term demand.**APN#225-116-37 & 26 both included in sale.
Lot Size
749,667.6 sqft
Days on Market
0
HOA Fee
N/A
MLS #
SR25272855
Lot Features
Thirty Six To Forty Units Acre, Thirty One To Thirty Five Units Acre, Irregular Lot, Lot Over40000 Sqft, Value In Land
Rural
$0
| Rating | School Name | ||
|---|---|---|---|
| No school data available for this area. | |||
Balanced market
Avg. time on market
This is a Balanced Market. Homes are selling at a moderate pace.
Based on price, location, and features
Topfind Realty, DRE # 02240815, is a licensed real estate broker in California. Topfind Realty pledges to support the Fair Housing Act and adhere to Equal Housing Opportunity laws.
Copyright © 2026 Topfind Realty. All Rights Reserved.