




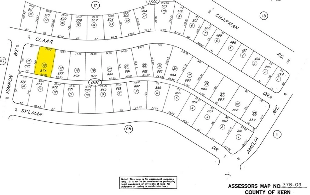
0 Claar, California City, CA 93505
Seize the opportunity to own this 11,164 sq. ft. residential multifamily-zoned lot. Located just off Rutgers Rd, this prime lot offers easy access to main roads, shopping, and local amenities, making it an ideal spot for building your dream home or investment property. Outdoor enthusiasts will love the proximity to BLM land, known for its OHV trails, camping, and breathtaking desert scenery. With nearby homes already developed, this property presents incredible potential for future appreciation. Whether you're looking to build, invest, or develop, this lot offers a fantastic opportunity
Lot Size
11,163 sqft
Days on Market
273
HOA Fee
N/A
MLS #
SR25135771
Lot Features
Zero To One Unit Acre
Mountainous, Rural
$0
| Rating | School Name | ||
|---|---|---|---|
| No school data available for this area. | |||
Balanced market
Avg. time on market
This is a Balanced Market. Homes are selling at a moderate pace.
Based on price, location, and features
Topfind Realty, DRE # 02240815, is a licensed real estate broker in California. Topfind Realty pledges to support the Fair Housing Act and adhere to Equal Housing Opportunity laws.
Copyright © 2026 Topfind Realty. All Rights Reserved.