
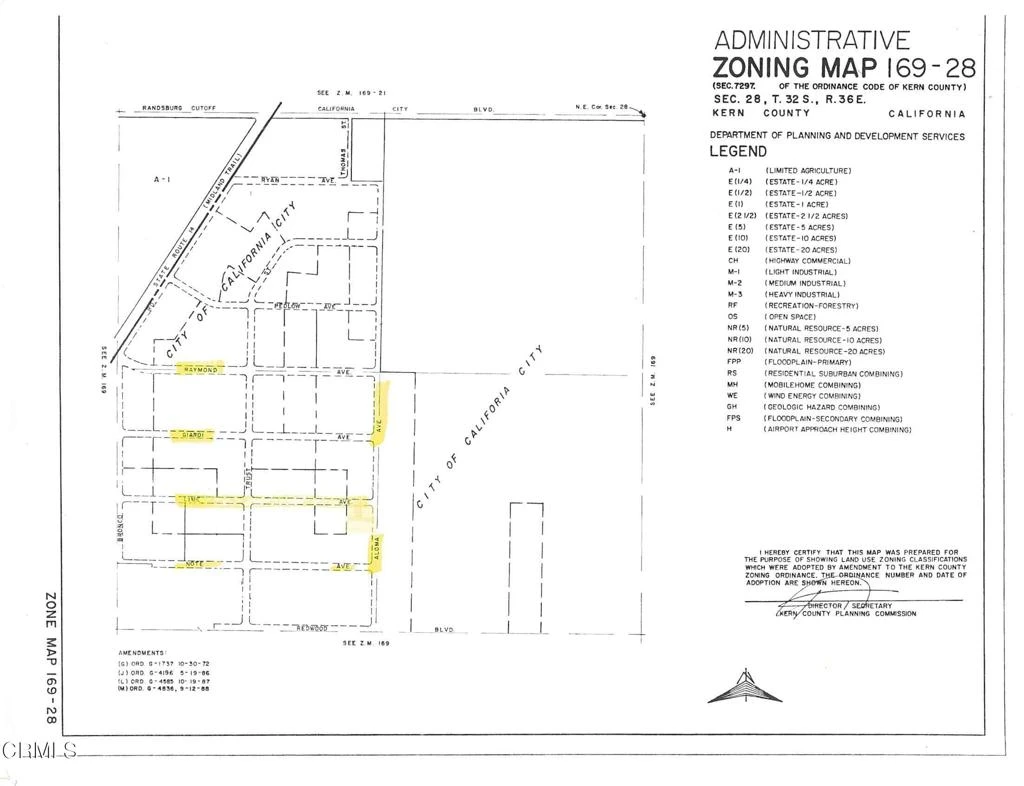
0 lime Avenue, California City, CA 93505
This is part of the California City dream! The lot size is 2.52 and at the corner of Aloha and Lime is approximately 3/4 mile east of Hwy 114.
Bathrooms
0
Lot Size
109,771.2 sqft
Days on Market
0
HOA Fee
N/A
MLS #
V1-34356
Lot Features
Sprinklers None
Water Source
See Remarks
Rural
$0
| Rating | School Name | ||
|---|---|---|---|
| No school data available for this area. | |||
Balanced market
Avg. time on market
This is a Balanced Market. Homes are selling at a moderate pace.
Based on price, location, and features
Topfind Realty, DRE # 02240815, is a licensed real estate broker in California. Topfind Realty pledges to support the Fair Housing Act and adhere to Equal Housing Opportunity laws.
Copyright © 2026 Topfind Realty. All Rights Reserved.