
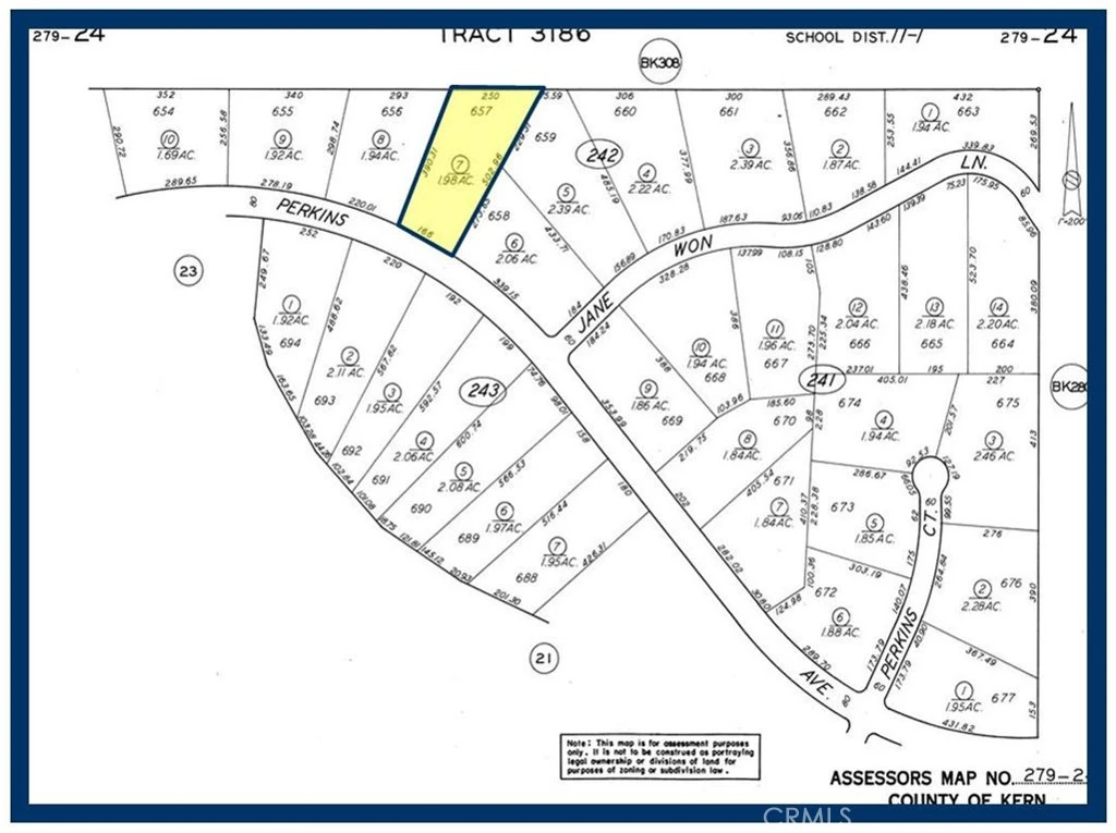
657 LOT Perkins Avenue, California City, CA 93505
Lot 657 Map 3186, 1.98 Acres, (Apn: 279-242-07-007) GPS: 35.21294, -117.79658 on Perkins Ave in California City, CA. California City is in northern Antelope Valley in Kern County. California City is 18 miles northwest of Edwards Air Force Base, 40 miles north of Lancaster and 28 miles east of Tehachapi. California City has zoned this property as R4 Residential. According to the City the following uses are permitted: Single Family Dwellings, riding stables, corrals and animal keeping. No utilities are currently available to this lot. Electricity is aprox 1.2 miles east. Please check with the City for water and sewer distance. Use the GPS coordinates to locate the property. GPS: 35.21294, -117.79658
Lot Size
86,248 sqft
Days on Market
0
HOA Fee
N/A
MLS #
HD26020607
Lot Features
Desert Back, Desert Front, Lot Over40000 Sqft, Rectangular Lot, Gentle Sloping, Rolling Slope
Rural
$0
| Rating | School Name | ||
|---|---|---|---|
| No school data available for this area. | |||
Balanced market
Avg. time on market
This is a Balanced Market. Homes are selling at a moderate pace.
Based on price, location, and features
Topfind Realty, DRE # 02240815, is a licensed real estate broker in California. Topfind Realty pledges to support the Fair Housing Act and adhere to Equal Housing Opportunity laws.
Copyright © 2026 Topfind Realty. All Rights Reserved.