




0 London Lane, Cambria, CA 93428
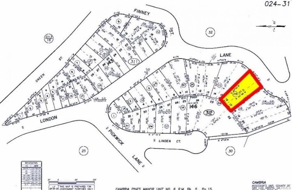
Seize the chance to own a piece of California’s scenic Central Coast with this 7,100 sq. ft. double corner lot located on London Lane in the charming town of Cambria. Nestled in the desirable Lodge Hill neighborhood, this parcel (APN# 024-312-029) sits on a quiet, paved road with forest and mountain views all around, offering both natural beauty and long-term investment potential. The lot measures approximately 60’ x 133’ with a gentle upslope and utilities nearby, including a fire hydrant directly in front and a power pole at the corner. Zoned residential, this property provides the opportunity to build your future dream home once conditions allow, while enjoying the benefits of land ownership in one of California’s most desirable small towns. Please note that the property does not currently have a water meter and is not on the list to receive one at this time. Cambria is well-known for its limited growth policies, which help preserve the area’s natural beauty and coastal charm. This restriction has made land in Cambria increasingly valuable over time, making this parcel a smart long-term investment. Buy now at an affordable price and hold for the future while enjoying ownership in a community that blends stunning landscapes with a welcoming, small-town feel. The location offers a lifestyle filled with natural beauty and recreation. Just two miles from the ocean, you can explore tide pools, take sunset walks along Moonstone Beach, or enjoy surfing, kayaking, and hiking along the dramatic coastline. Within 90 minutes you’ll find world-famous attractions such as Hearst Castle, the Elephant Seal Rookery, and the breathtaking cliffs of Big Sur along Highway One. To the east, the award-winning wineries of Paso Robles and San Luis Obispo are within easy reach, making weekend wine country getaways part of your new routine. Cambria’s unique blend of coastal living, forested surroundings, and access to adventure makes it one of the Central Coast’s most treasured destinations.
Lot Size
7,100 sqft
Days on Market
0
HOA Fee
N/A
MLS #
SW26019992
Lot Features
Corner Lot, Sloped Down, Front Yard, Value In Land
Water Source
None, See Remarks
Biking, Fishing, Hiking, Horse Trails, Suburban, Water Sports
$0
| Rating | School Name | ||
|---|---|---|---|
| No school data available for this area. | |||
Balanced market
Avg. time on market
This is a Balanced Market. Homes are selling at a moderate pace.
Flood Risk
Minimal — not in a FEMA flood zone
Wildfire Risk
Moderate — near wildland-urban interface
Heat Risk
Low — moderate summer temperatures
Earthquake Risk
Southern California seismic zone
Based on price, location, and features
Topfind Realty, DRE # 02240815, is a licensed real estate broker in California. Topfind Realty pledges to support the Fair Housing Act and adhere to Equal Housing Opportunity laws.
Copyright © 2026 Topfind Realty. All Rights Reserved.