




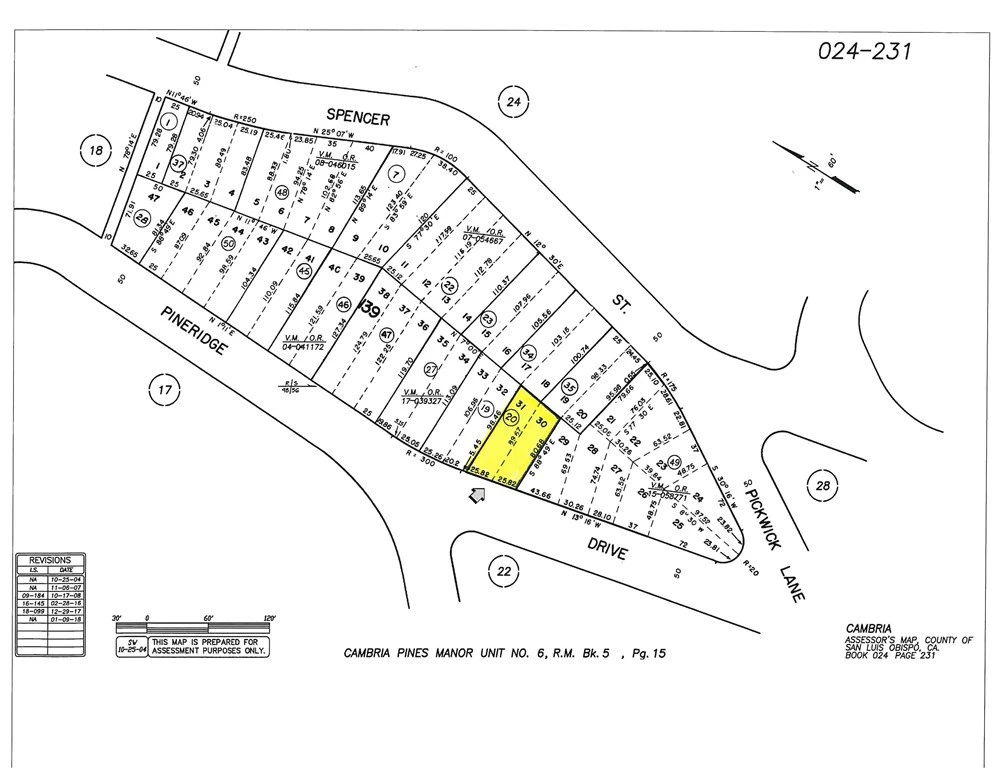
0 Pineridge Drive, Cambria, CA 93428
#222 on CCSD water wait list. Panoramic Santa Lucia Mountain Views from this oversize double lot approx. 4250+-sf. Sunny open location. Paved street. Gentle down slope. Excellent location for your future home on Top of Lodge Hill. Buy and Hold for now until the current building moratorium for new construction is lifted. Check CCSD and county websites (cambriacsd.org & slocounty.ca.gov) for info on the moratorium & allowable uses for property. Offered for $79,900
Lot Size
4,250 sqft
Property Type
Water Position With Land
Days on Market
2568
HOA Fee
N/A
MLS #
SC19062057
Lot Features
Sloped Down
Sewer
Public Sewer
Water Source
Public
Rural
$0
| Rating | School Name | ||
|---|---|---|---|
| No school data available for this area. | |||
Balanced market
Avg. time on market
This is a Balanced Market. Homes are selling at a moderate pace.
Flood Risk
Minimal — not in a FEMA flood zone
Wildfire Risk
Moderate — near wildland-urban interface
Heat Risk
Low — moderate summer temperatures
Earthquake Risk
Southern California seismic zone
Based on price, location, and features
Topfind Realty, DRE # 02240815, is a licensed real estate broker in California. Topfind Realty pledges to support the Fair Housing Act and adhere to Equal Housing Opportunity laws.
Copyright © 2026 Topfind Realty. All Rights Reserved.