




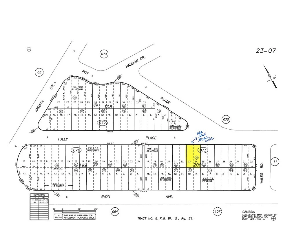
0 Tully Place, Cambria, CA 93428
Rural and quiet part of Lodge Hill. Lots of wildlife, oaks & pines. West of Highway One & not far to the beach or ranch trails. #361 on CCSD water wait list. This is a double lot 4100+-sqft, 50'x 82.50' on a gentle down slope. Buy and hold for now until the current building moratorium for new construction is lifted. Check CCSD and county websites (cambriacsd.org & slocounty.ca.gov) for info on the moratorium & allowable uses for property. Offered for $39,000.
Lot Size
4,100 sqft
Property Type
Water Position With Land
Days on Market
1090
HOA Fee
N/A
MLS #
SC22204783
Lot Features
Gentle Sloping, Rectangular Lot
Sewer
Public Sewer
Water Source
Public
Biking, Dog Park, Fishing, Hiking, Preserve Public Land, Rural
$0
| Rating | School Name | ||
|---|---|---|---|
| No school data available for this area. | |||
Balanced market
Avg. time on market
This is a Balanced Market. Homes are selling at a moderate pace.
Flood Risk
Minimal — not in a FEMA flood zone
Wildfire Risk
Moderate — near wildland-urban interface
Heat Risk
Low — moderate summer temperatures
Earthquake Risk
Southern California seismic zone
Based on price, location, and features
Topfind Realty, DRE # 02240815, is a licensed real estate broker in California. Topfind Realty pledges to support the Fair Housing Act and adhere to Equal Housing Opportunity laws.
Copyright © 2026 Topfind Realty. All Rights Reserved.