




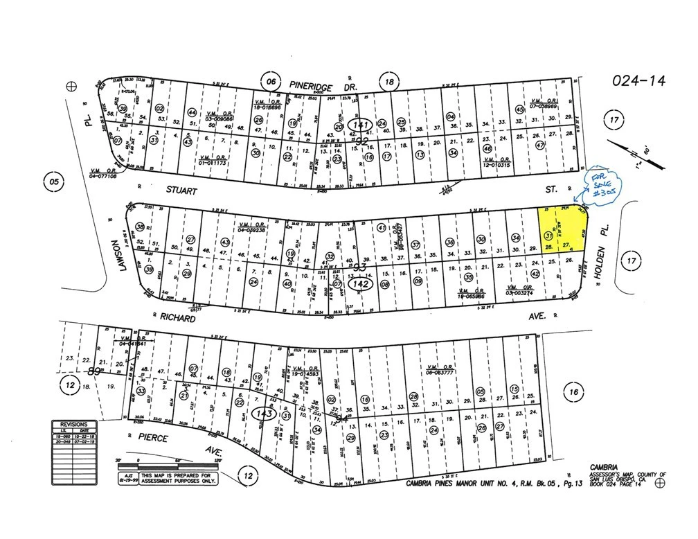
1815 Stuart Street, Cambria, CA 93428
Level Corner Oversize Double Lot (4792+-sf) with Mountain & Distant Ocean Views. CCSD Water Wait List Position #305 included. Corner of Stuart St & Holden Pl. Open and Sunny Location, Low Traffic Paved Streets. Excellent Future Home Site on Top of the World. Offered for $59,000
Lot Size
4,792 sqft
Property Type
Water Position With Land
Days on Market
1
HOA Fee
N/A
MLS #
SC26005890
Lot Features
Corner Lot, Paved, Street Level
Sewer
Public Sewer
Water Source
Public
Dog Park, Hiking, Preserve Public Land
$0
| Rating | School Name | ||
|---|---|---|---|
| No school data available for this area. | |||
Balanced market
Avg. time on market
This is a Balanced Market. Homes are selling at a moderate pace.
Flood Risk
Minimal — not in a FEMA flood zone
Wildfire Risk
Moderate — near wildland-urban interface
Heat Risk
Low — moderate summer temperatures
Earthquake Risk
Southern California seismic zone
Based on price, location, and features
Topfind Realty, DRE # 02240815, is a licensed real estate broker in California. Topfind Realty pledges to support the Fair Housing Act and adhere to Equal Housing Opportunity laws.
Copyright © 2026 Topfind Realty. All Rights Reserved.