




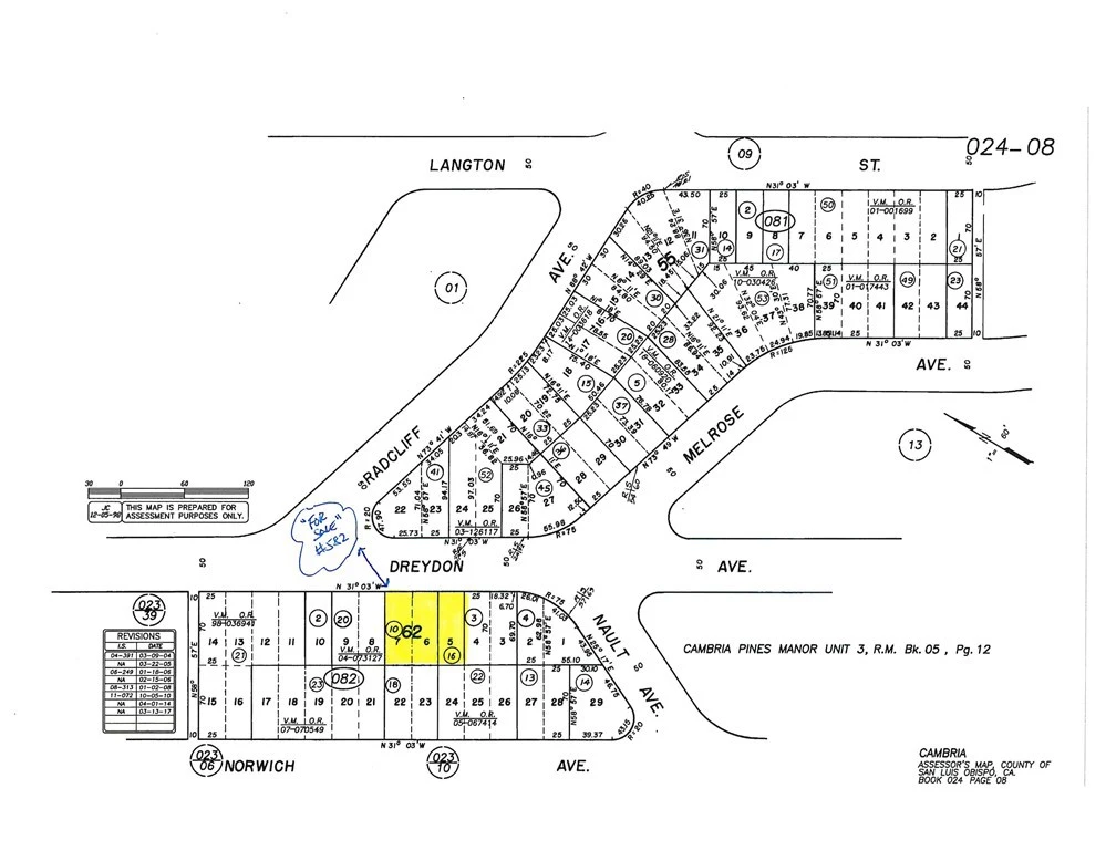
1865 Dreydon Avenue, Cambria, CA 93428
#582 on CCSD Water Wait List. Level Triple Lots, 75'x70', +-5250sf with Distant Ocean Views in a forest setting. Paved Street, Sunny, Quiet low traffic area. West of Hwy One Not Far to The Ocean. Wait for #582 Water Position or Transfer A Water Meter or Lower Water Position here. Buy and Hold for now until the current building moratorium for new construction is lifted. Check CCSD and county websites (cambriacsd.org & slocounty.ca.gov) for info on the moratorium & allowable uses for property. This Is a Nice Flat Triple Lot Affording Many Design Options for your Future Cambria Home. Offered for $59,000.
Lot Size
5,250 sqft
Property Type
Water Position With Land
Days on Market
0
HOA Fee
N/A
MLS #
SC25174055
Lot Features
Paved, Street Level
Sewer
Public Sewer
Water Source
Public
Biking, Hiking, Preserve Public Land
$0
| Rating | School Name | ||
|---|---|---|---|
| No school data available for this area. | |||
Balanced market
Avg. time on market
This is a Balanced Market. Homes are selling at a moderate pace.
Flood Risk
Minimal — not in a FEMA flood zone
Wildfire Risk
Moderate — near wildland-urban interface
Heat Risk
Low — moderate summer temperatures
Earthquake Risk
Southern California seismic zone
Based on price, location, and features
Topfind Realty, DRE # 02240815, is a licensed real estate broker in California. Topfind Realty pledges to support the Fair Housing Act and adhere to Equal Housing Opportunity laws.
Copyright © 2026 Topfind Realty. All Rights Reserved.