




738 Sobrato Drive, Campbell, CA 95008
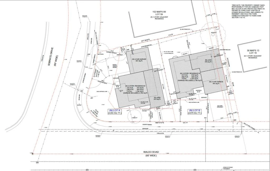
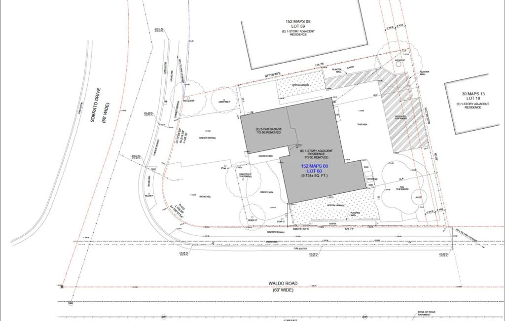
Perfect for SB1123 with 5-10 units.Welcome to 738 Sobrato Drive! Situated on a spacious 9652 sq ft corner lot in a highly desirable Campbell neighborhood, this beautifully updated single-story home offers bright, sun-filled living with hardwood floors, fresh paint, high ceilings, and a striking double-sided fireplace. The modern kitchen features quartz countertops and a breakfast bar, while the resort-style backyard showcases a Trex deck, pergola, fire pit, outdoor shower, custom pool with Baja shelf, hot tub, and rock waterfall. Additional highlights include updated bathrooms, a two-car garage with workbench, RV/boat parking, and a generous side yard. SB9 design plans have been prepared and are ready for submission, offering exciting future possibilities. Conveniently located near downtown Campbell, The Pruneyard, shopping, dining, and major commute routes. Buyer to verify development potential and regulations with the City of Campbell.
Bedrooms
3
Bathrooms
2
Square Feet
1,375
Lot Size
9,652 sqft
Year Built
1963
Property Type
Single Family Residence
Days on Market
39
HOA Fee
N/A
Garage Total
2
MLS #
ML82022343
Flooring
Tile, Wood
Fireplace
Living Room
Appliances
Dishwasher, Gas Cooktop, Disposal, Refrigerator, Vented Exhaust Fan
Laundry
In Garage
Heating
Central
Total Parking Spaces
2
Garage Spaces
2
Attached Garage
Yes
Construction
Stucco
Foundation
Slab
Roof
Composition
Pool Features
Above Ground
Spa Features
Above Ground
Sewer
Public Sewer
Water Source
Public
$0
| Rating | School Name | ||
|---|---|---|---|
| No school data available for this area. | |||
Balanced market
Avg. time on market
This is a Balanced Market. Homes are selling at a moderate pace.
Flood Risk
Minimal — not in a FEMA flood zone
Wildfire Risk
Moderate — near wildland-urban interface
Heat Risk
Low — moderate summer temperatures
Earthquake Risk
Southern California seismic zone
Based on price, location, and features
Topfind Realty, DRE # 02240815, is a licensed real estate broker in California. Topfind Realty pledges to support the Fair Housing Act and adhere to Equal Housing Opportunity laws.
Copyright © 2026 Topfind Realty. All Rights Reserved.