
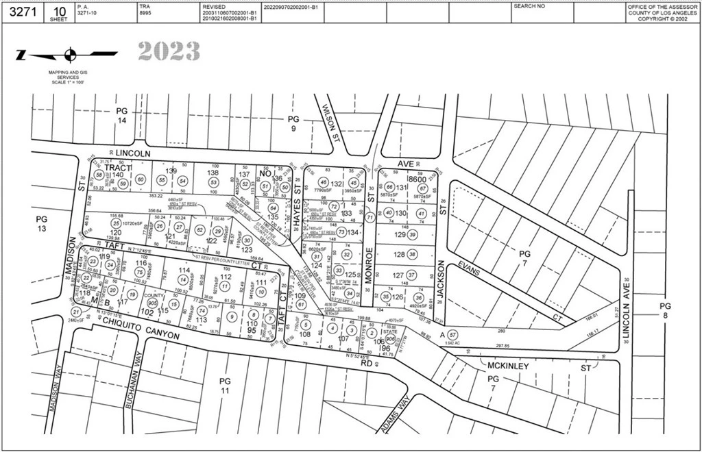
0 Hayes Street, Castaic, CA 91384
APN: 3271-010-031 Coordinates: 34.440556, -118.656611 6,534 SqFt lot for sale in Castaic, CA. This lot is located off of Hayes St and Lincoln Ave in Castaic, CA. Excellent location near other homes, zoned residential in a quiet neighborhood.
Lot Size
6,613 sqft
Days on Market
21
HOA Fee
N/A
MLS #
IV26040634
Lot Features
Cul De Sac, Irregular Lot
Rural
$0
| Rating | School Name | ||
|---|---|---|---|
| No school data available for this area. | |||
Balanced market
Avg. time on market
This is a Balanced Market. Homes are selling at a moderate pace.
Flood Risk
Minimal — not in a FEMA flood zone
Wildfire Risk
Moderate — near wildland-urban interface
Heat Risk
Low — moderate summer temperatures
Earthquake Risk
Southern California seismic zone
Based on price, location, and features
Topfind Realty, DRE # 02240815, is a licensed real estate broker in California. Topfind Realty pledges to support the Fair Housing Act and adhere to Equal Housing Opportunity laws.
Copyright © 2026 Topfind Realty. All Rights Reserved.