
104 LOT Reservoir Road, Cedarpines Park, CA 92322
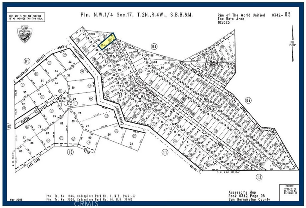
Lot 104 Tract 2004 (APN: 0342-052-29) GPS: 34.260891, -117.327711 This mountain lot is in the rural mountain community of Cedarpines Park, CA. The lots sits an at approximate elevation of 4900 feet an is 1.24 miles north of the downtown community. According to the San Bernardino County, the property is zoned CF/RS-14M. This zoning is Single Residential with 14,000 sq ft minimum lot sizes. Buyer should verify all utilities and access. Use GPS to locate the property, GPS: 34.260891, -117.327711
Lot Size
3,520 sqft
Days on Market
0
HOA Fee
N/A
MLS #
HD26020630
Lot Features
Rectangular Lot
Mountainous, Valley
$0
| Rating | School Name | ||
|---|---|---|---|
| No school data available for this area. | |||
Balanced market
Avg. time on market
This is a Balanced Market. Homes are selling at a moderate pace.
Flood Risk
Minimal — not in a FEMA flood zone
Wildfire Risk
Moderate — near wildland-urban interface
Heat Risk
Low — moderate summer temperatures
Earthquake Risk
Southern California seismic zone
Based on price, location, and features
Topfind Realty, DRE # 02240815, is a licensed real estate broker in California. Topfind Realty pledges to support the Fair Housing Act and adhere to Equal Housing Opportunity laws.
Copyright © 2026 Topfind Realty. All Rights Reserved.