
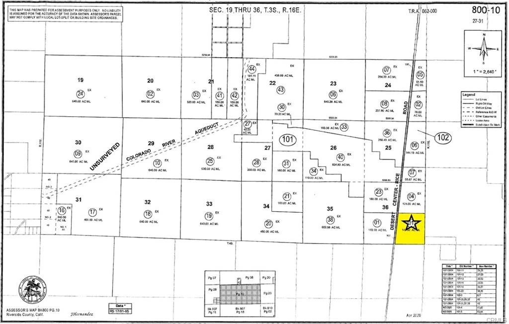
0 Rice Road, Desert Center, CA 92239
142± acre flat parcel on Rice Road with approximately 0.5 mile of frontage along Highway 177. Broker-owned property with owner financing available; terms negotiable. The land is generally level and offers a wide range of potential uses including solar development, mitigation land, agricultural use, or a private compound/estate setting. Utilities such as electric and phone are in the area, and wells are present nearby. Front corner markers were reportedly placed years ago. ****No soils reports, surveys, etc., have been done. Buyer and buyer's agent to verify all information with the city or county for allowable uses and requirements and rely on their own investigations. **Buyer responsible for checking zoning, utilities, permits and exact property boundaries. ****
Lot Size
6,182,035 sqft
Days on Market
0
HOA Fee
N/A
MLS #
SW25282125
Lot Features
Rectangular Lot
Water Source
See Remarks
Rural
$0
| Rating | School Name | ||
|---|---|---|---|
| No school data available for this area. | |||
Balanced market
Avg. time on market
This is a Balanced Market. Homes are selling at a moderate pace.
Flood Risk
Minimal — not in a FEMA flood zone
Wildfire Risk
Moderate — near wildland-urban interface
Heat Risk
Low — moderate summer temperatures
Earthquake Risk
Southern California seismic zone
Based on price, location, and features
Topfind Realty, DRE # 02240815, is a licensed real estate broker in California. Topfind Realty pledges to support the Fair Housing Act and adhere to Equal Housing Opportunity laws.
Copyright © 2026 Topfind Realty. All Rights Reserved.