
0 Desert Hot Springs, Desert Hot Springs, CA 92240
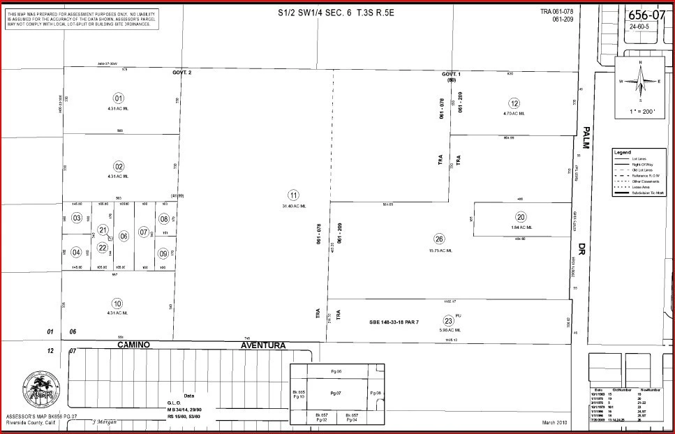
±4.7 Acres Land Opportunity – Near Palm Dr, Desert Hot Springs, CA. Excellent opportunity to acquire approximately 4.7 acres of land located near Palm Dr, offering convenient access and strong exposure within a growing Desert Hot Springs area. This parcel (APN: 656-070-012) is positioned adjacent to two additional available parcels, creating potential for combined development or future assemblage. Zoned for High Density Residential / Mixed-Use (buyer to verify), the property offers flexibility for residential, mixed-use, or investment purposes. Located in a developing area with nearby residential communities and commercial activity. Public utilities may be available along Palm Dr; buyer to verify all details including availability and connection.
Bedrooms
0
Bathrooms
0
Lot Size
204,732 sqft
Days on Market
6
HOA Fee
N/A
MLS #
PW26061822
Lot Features
Two To Five Units Acre
Suburban
$0
| Rating | School Name | ||
|---|---|---|---|
| No school data available for this area. | |||
Balanced market
Avg. time on market
This is a Balanced Market. Homes are selling at a moderate pace.
Flood Risk
Minimal — not in a FEMA flood zone
Wildfire Risk
Moderate — near wildland-urban interface
Heat Risk
Low — moderate summer temperatures
Earthquake Risk
Southern California seismic zone
Based on price, location, and features
Topfind Realty, DRE # 02240815, is a licensed real estate broker in California. Topfind Realty pledges to support the Fair Housing Act and adhere to Equal Housing Opportunity laws.
Copyright © 2026 Topfind Realty. All Rights Reserved.