
0 Desert Hot Springs, Desert Hot Springs, CA 92240
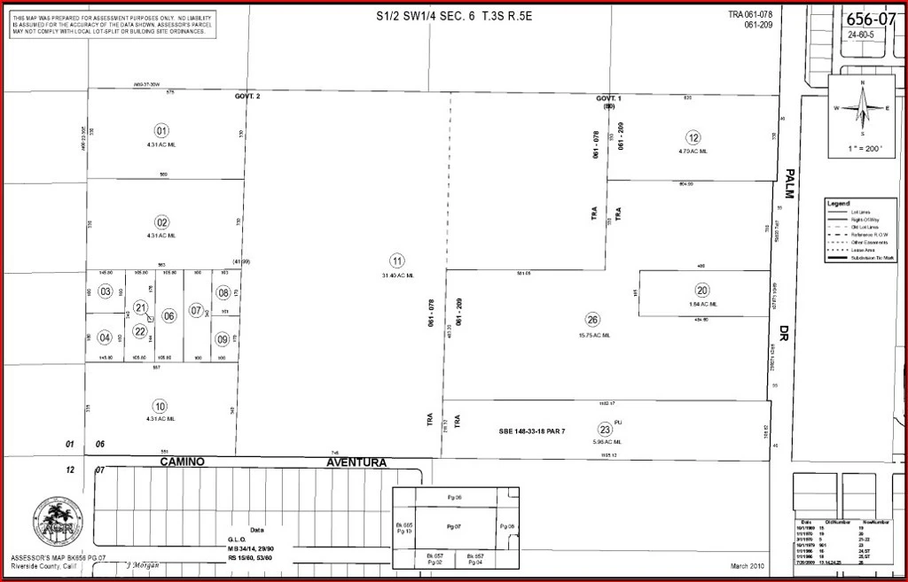
±31.4 Acres Prime Development Land – Desert Hot Springs, CA. Rare opportunity to acquire approximately 31.4 acres of land in Desert Hot Springs, forming the largest parcel within a 3-parcel assemblage opportunity. This property (APN: 656-070-011) is located west of Palm Dr with access via adjacent parcels, and is bordered by existing residential communities, making it suitable for residential subdivision or large-scale development. Zoned for High Density Residential / Mixed-Use (buyer to verify), this parcel presents strong potential for developers seeking scale in a growing market. Situated in an area experiencing ongoing growth and development activity. Utilities may be available nearby; buyer to independently verify all utility availability and development requirements.
Bedrooms
0
Bathrooms
0
Lot Size
1,367,784 sqft
Days on Market
6
HOA Fee
N/A
MLS #
PW26061831
Lot Features
Thirty One To Thirty Five Units Acre
Suburban
$0
| Rating | School Name | ||
|---|---|---|---|
| No school data available for this area. | |||
Balanced market
Avg. time on market
This is a Balanced Market. Homes are selling at a moderate pace.
Flood Risk
Minimal — not in a FEMA flood zone
Wildfire Risk
Moderate — near wildland-urban interface
Heat Risk
Low — moderate summer temperatures
Earthquake Risk
Southern California seismic zone
Based on price, location, and features
Topfind Realty, DRE # 02240815, is a licensed real estate broker in California. Topfind Realty pledges to support the Fair Housing Act and adhere to Equal Housing Opportunity laws.
Copyright © 2026 Topfind Realty. All Rights Reserved.