


0 Hwy 62, Desert Hot Springs, CA 92282
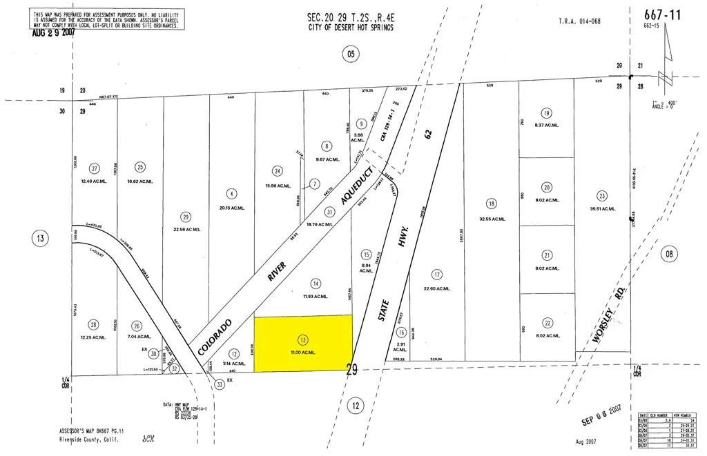
Excellent opportunity to acquire approximately 11 acres near 29 Palms Highway (Highway 62) in Desert Hot Springs, CA, APN 667-110-013. This parcel is zoned Commercial Business Park, opening the door to a wide range of commercial and mixed-use possibilities. Allowed uses include, but are not limited to, office, financial institutions, health and fitness facilities, grocery, restaurant with drive-thru, animal boarding and veterinary services, furniture and fixtures manufacturing, recording studio, and cannabis-related uses such as retail storefront or testing facility with a Conditional Use Permit (CUP). The site is strategically positioned just east of the planned Highland Falls development, a proposed 970-acre master-planned community with approximately 3,700 residential units, two 18-hole golf courses, and commercial components, adding long-term growth potential to the area. The property also offers expansive views of the Coachella Valley and surrounding mountains, making it well-suited for a variety of commercial or investment uses. ****No soils reports, surveys, etc., have been done. Buyer and buyer's agent to verify all information with the city or county for allowable uses and requirements and rely on their own investigations. **Buyer responsible for checking zoning, utilities, permits and exact property boundaries. ****
Bathrooms
0
Lot Size
479,160 sqft
Days on Market
3
HOA Fee
N/A
MLS #
219139951DA
Sewer
Unknown
$0
| Rating | School Name | ||
|---|---|---|---|
| No school data available for this area. | |||
Balanced market
Avg. time on market
This is a Balanced Market. Homes are selling at a moderate pace.
Based on price, location, and features
Topfind Realty, DRE # 02240815, is a licensed real estate broker in California. Topfind Realty pledges to support the Fair Housing Act and adhere to Equal Housing Opportunity laws.
Copyright © 2026 Topfind Realty. All Rights Reserved.