




0 Mission Lakes Blvd, Desert Hot Springs, CA 92240
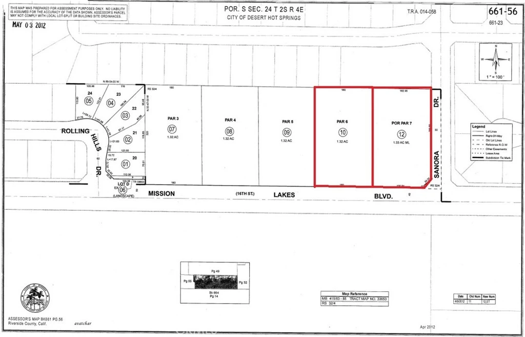
Offered for sale are two contiguous parcels (parcels 10 and 12) totally 2.87 acres. During 2020, the City of Desert Hot Springs rezoned the 5 parcels fronting Mission Lakes Blvd. between Rolling Hills Drive to the west and Sonora Drive to the east, from residential low-density to Neighborhood Commercial-creating a rare commercial location in this part of the city. As the population continues to grow, this location will be ideal for a strip center/fast food neighborhood retail center. Listing Broker also has parcels 7 and 8 for sale. In speaking with the Building and Planning Department, the city is open minded to proposals for Neighborhood Commercial/Retail Use. Prospective buyers to check with the city for proposed commercial use. Great future opportunity!
Lot Size
125,017 sqft
Days on Market
2904
HOA Fee
N/A
MLS #
AR18013140
Lot Features
Corner Lot, Corners Marked, Lot Over40000 Sqft, Rectangular Lot, Value In Land
Sewer
Public Sewer
Water Source
Public
Rural
$0
| Rating | School Name | ||
|---|---|---|---|
| No school data available for this area. | |||
Balanced market
Avg. time on market
This is a Balanced Market. Homes are selling at a moderate pace.
Flood Risk
Minimal — not in a FEMA flood zone
Wildfire Risk
Moderate — near wildland-urban interface
Heat Risk
Low — moderate summer temperatures
Earthquake Risk
Southern California seismic zone
Based on price, location, and features
Topfind Realty, DRE # 02240815, is a licensed real estate broker in California. Topfind Realty pledges to support the Fair Housing Act and adhere to Equal Housing Opportunity laws.
Copyright © 2026 Topfind Realty. All Rights Reserved.