


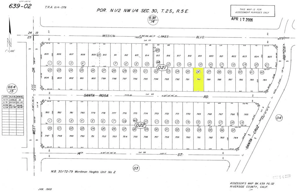
0 Santa Rosa Road, Desert Hot Springs, CA 92240
on't miss this fantastic opportunity with an 8,259 sq ft vacant lot on Santa Rosa Rd in Desert Hot Springs, CA 92240 (APN: 639-021-036), located adjacent to 66150 Santa Rosa Rd. This parcel sits in a desirable neighborhood surrounded by established single-family homes, offering a peaceful residential setting with paved street access and nearby utilities. Conveniently positioned between Mission Lakes Blvd and Pierson Blvd, the property is just minutes from local shopping, dining, schools, and the popular Mission Lakes Country Club. With its spacious dimensions, mountain views, and excellent location, this lot is a prime choice for buyers looking to invest in the vibrant Desert Hot Springs community. ****No soils reports, surveys, etc., have been done. Buyer and buyer's agent to verify all information with the city or county for allowable uses and requirements and rely on their own investigations. **Buyer responsible for checking zoning, utilities, permits and exact property boundaries. ****
Bathrooms
0
Lot Size
8,276 sqft
Days on Market
63
HOA Fee
N/A
MLS #
219134587DA
Sewer
Unknown
$0
| Rating | School Name | ||
|---|---|---|---|
| No school data available for this area. | |||
Supply and demand are well balanced
Avg. Days on Market
30daysTypical Range
14-90 daysBased on price, location, and features
Topfind Realty, DRE # 02240815, is a licensed real estate broker in California. Topfind Realty pledges to support the Fair Housing Act and adhere to Equal Housing Opportunity laws.
Copyright © 2026 Topfind Realty. All Rights Reserved.