




0 Vacant Land, Desert Hot Springs, CA 92240
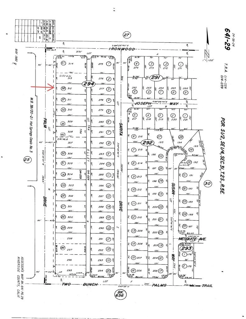
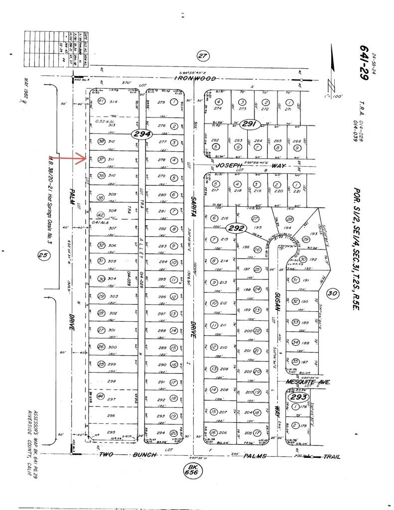
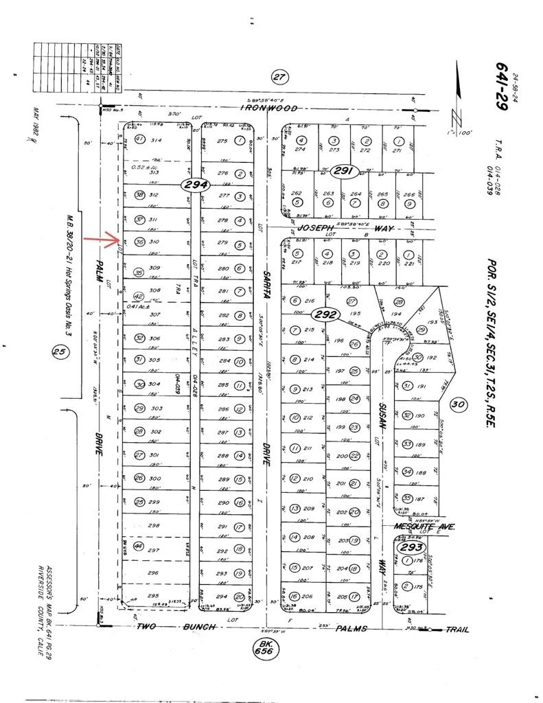
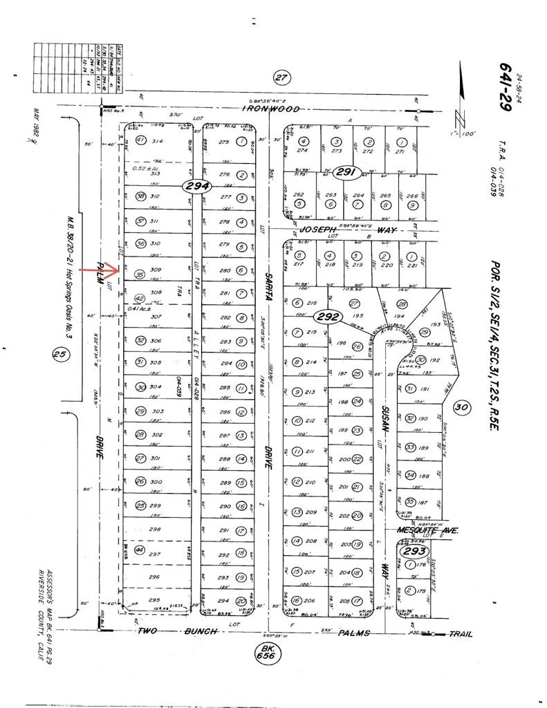
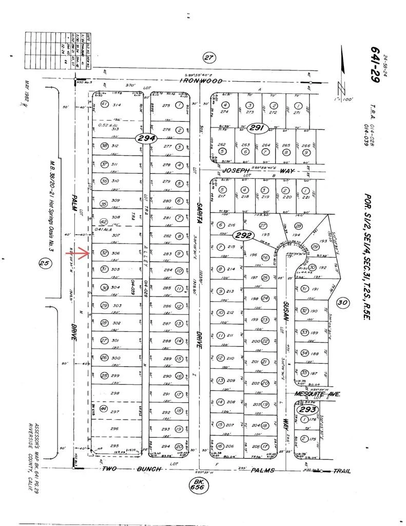
Exceptional opportunity to acquire a total of eight (8) vacant land parcels sold together. Total square feet is 64,353. This combined offering provides versatility for future development, investment, or long-term holding.APNs included:641-294-038641-294-036641-294-037641-294-035641-294-032641-294-031641-294-030693-311-003The property is located just south of 13570 Palm, in proximity to retail stores and high-traffic corridors, offering strong potential for commercial or mixed-use development. Multiple adjoining parcels (plus one additional parcel) create expanded frontage and unique scale for a variety of permitted uses.Buyers are advised to verify zoning, permitted uses, utilities, boundaries, and all development requirements with the appropriate agencies.
Bathrooms
0
Lot Size
64,353 sqft
Days on Market
62
HOA Fee
N/A
MLS #
219139277DA
Sewer
Unknown
$0
| Rating | School Name | ||
|---|---|---|---|
| No school data available for this area. | |||
Balanced market
Avg. time on market
This is a Balanced Market. Homes are selling at a moderate pace.
Flood Risk
Minimal — not in a FEMA flood zone
Wildfire Risk
Moderate — near wildland-urban interface
Heat Risk
Low — moderate summer temperatures
Earthquake Risk
Southern California seismic zone
Based on price, location, and features
Topfind Realty, DRE # 02240815, is a licensed real estate broker in California. Topfind Realty pledges to support the Fair Housing Act and adhere to Equal Housing Opportunity laws.
Copyright © 2026 Topfind Realty. All Rights Reserved.