




0 Oak Creek Rd Phase 1, El Cajon, CA 92021
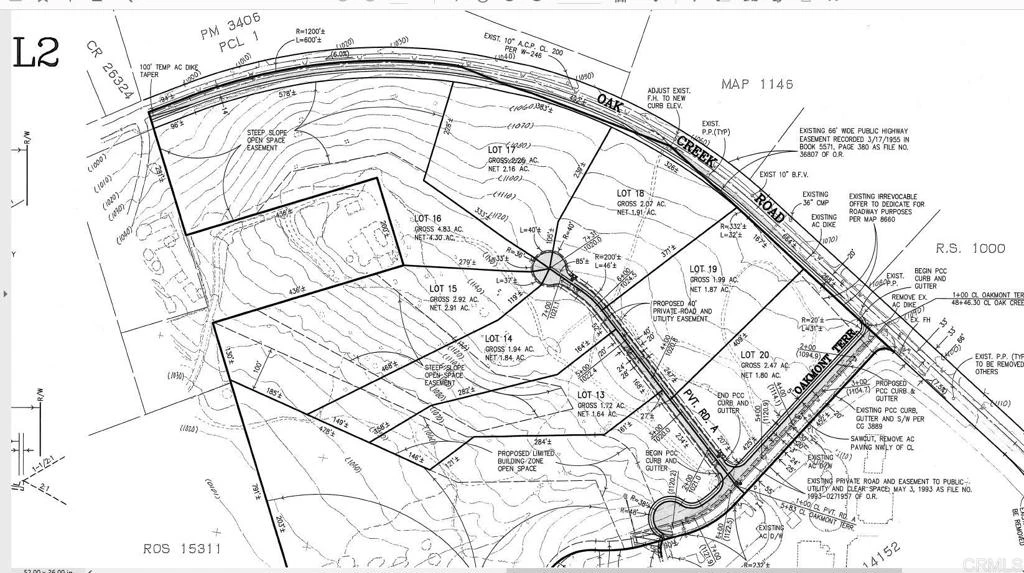
Phase 1 approved map approx 59 acres consisting of lots 12-20. 2+ acre lots seller completed and recorded this 9 lot subdivision Dec 2023. Paid the approx $725k bond for cost of improvements adding a cul-de-sac. Then you will have 9 aprrox value $500-550k lots that you can sell quickly or build out spec homes. Grading for individual lots can be done by new owners along with cost for septic + water meters. Beautiful home site currently for estate home with views!
Bathrooms
0
Lot Size
4,486,680 sqft
Days on Market
0
HOA Fee
N/A
MLS #
PTP2602025
Lot Features
Lot Over40000 Sqft
Mountainous
$0
| Rating | School Name |
|---|---|
9 | GreatSchools High (Demo) public School • ratio 22:1 |
7 | Valley View Elementary (Demo) public School • ratio 18:1 |
6 | Lincoln Middle School (Demo) public School • ratio 20:1 |
NR | St. Mary Example Academy (Demo) private School • ratio 12:1 |
Balanced market
Avg. time on market
This is a Balanced Market. Homes are selling at a moderate pace.
Based on price, location, and features
Topfind Realty, DRE # 02240815, is a licensed real estate broker in California. Topfind Realty pledges to support the Fair Housing Act and adhere to Equal Housing Opportunity laws.
Copyright © 2026 Topfind Realty. All Rights Reserved.